Terreno en calle Río Chan

A Coruña, Culleredo, Culleredo Center, Calle Río Chan
85 000 €
Leave review
Urbanizable Property type
2 336 m² Land area
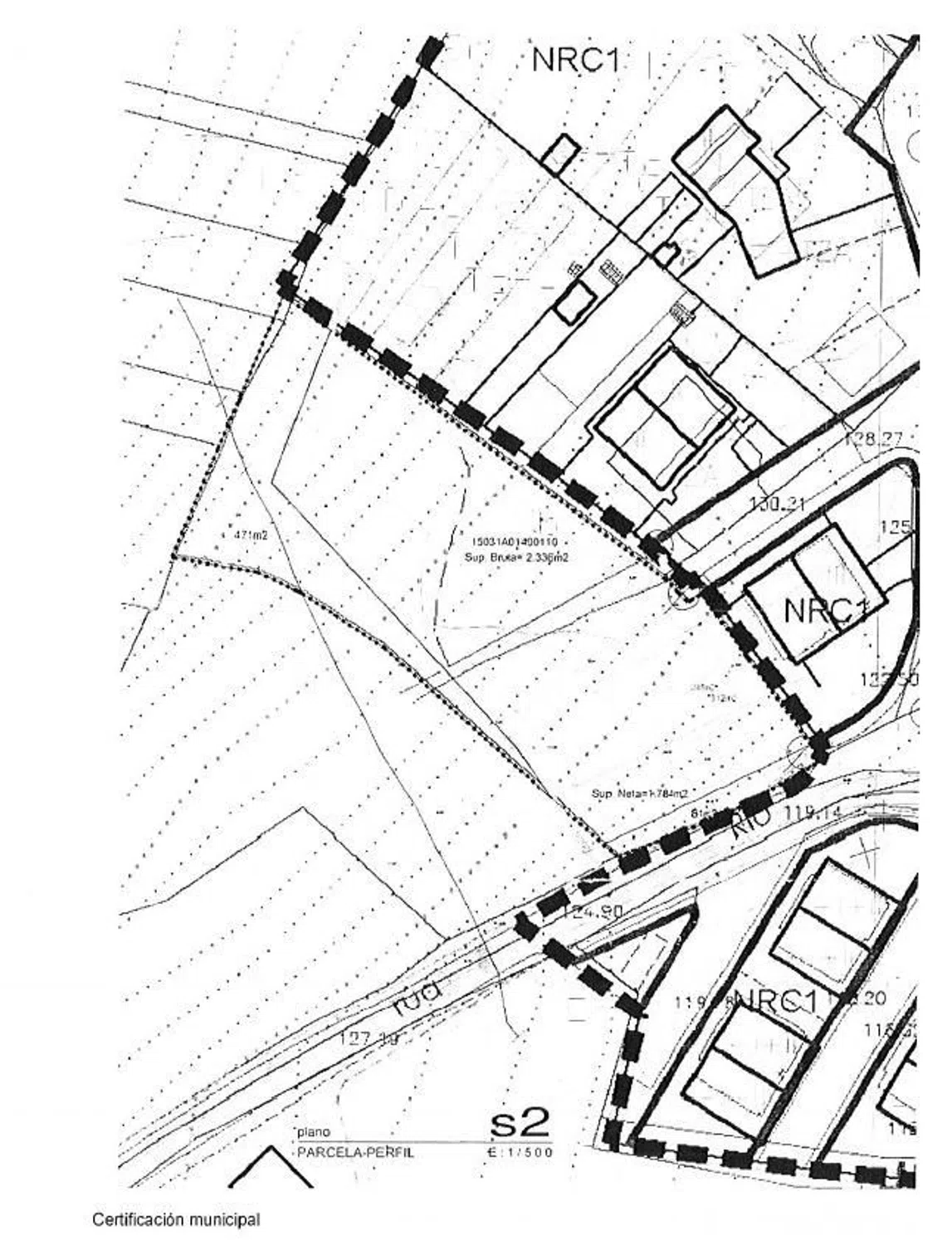
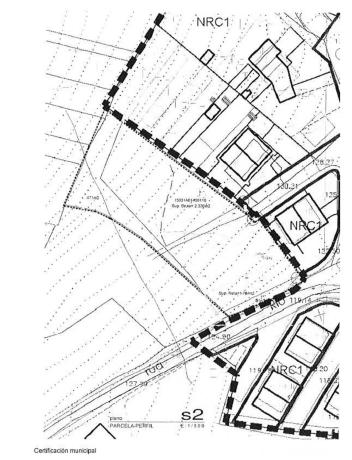
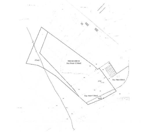
Se trata de una parcela de 2336 m2 válida para hacer un chalet de planta baja, planta primera, sótano y bajo cubierta si se desea. Se encuentra en una zona completamente urbanizada con todos los servicios inmediatos propios de una urbanización como luz, alcantarillado, agua, fibra óptica y con una vista despejada. Esta parcialmente cerrada con un gran muro de piedra frontal ya construido y un lateral ya cerrado por dos de las viviendas de la urbanización. Cuenta con algo de pendiente hacia la zona del valle, pero gracias al muro de contención existe una zona más llana hacia el frente. Es una parcela de ordenanza 10 con una edificabilidad del 30%, 20% de ocupación, 600 metros de parcela mínima, 8 metros de frente mínimo y la obligación de colocar la edificación a una distancia máxima de 8 metros desde la alineación. La urbanización Fontemaior se encuentra colindante con la zona industrial del aeropuerto de Alvedro y a tan solo un paso del polígono de Alvedro y el centro comercial Outlet. Además, a menos de 1 kilómetro, encontrarás el centro de Vilaboa con todos sus servicios, como colegios, centro de salud, supermercados, parques,... tardarás solo 5 minutos en llegar a Coruña por la nacional 550 y el acceso de la tercera ronda del aeropuerto. Construye la casa de tus sueños. Llámanos. Inmueble en exclusiva de M3plus. Cuenta con nuestra experiencia de más de 16 años en el sector para vender tu casa o conseguir financiación. *El precio indicado en el anuncio no incluye ni impuestos ni gastos de financiación. Este anuncio puede contener errores y se muestra a título informativo. ++ CARACTERISTICAS Terreno → Parcela en Culleredo zona Centro de Culleredo, 2336 m. superficie parcela. Extras: agua, alcantarillado, edificabilidad, luz, red-internet, autobuses, céntrico, centros médicos, colegios, parques, supermercados, vistas despejadas Expertos Inmobiliarios en Cambre, Culleredo y Oleiros.

Property characteristics

Complex information

  • Property type
    Urbanizable

Property data

  • Property type
    Second hand

Surfaces

  • Land area
    2 336 m²

Base

Facilities

Supply:

Sewage System

Additional Features:

Building plot

Market price statistics for Terreno en calle Río Chan

Map

A Coruña, Culleredo, Culleredo Center, Calle Río Chan Going to this location!
Leave a review about Terreno en calle Río Chan
0
0 reviews
1
0% (0)
2
0% (0)
3
0% (0)
4
0% (0)
5
0% (0)
M3plus seinco
85 000 €
Contact advertiser

For more information contact the platform

REF: 346987

Reviews about Terreno en calle Río Chan
Loading...

No reviews have been left for this object yet

Nearest properties

Explore nearby properties we've discovered in close proximity to this location

Terreno en calle José Goyanes Capdevila, 9

A Coruña, A Coruña, Mesoiro, Calle José Goyanes Capdevila, 9
105 000 €

Se vende parcela urbana en la urbanización Breogán, ubicada en Feáns. Con una su...

0
0 reviews

Terreno en Peiraio

A Coruña, Cambre
120 000 €

PARCELA URBANA VALIDA PARA HACER DOS VIVIENDAS EN PEIRAIO (CAMBRE). Se trata de...

0
0 reviews

Terreno en calle Penedas

A Coruña, Culleredo, Almeiras, Calle Penedas
69 850 €

¿Estás buscando un terreno con vistas despejadas y una ubicación estratégica? Es...

0
0 reviews

Terreno en avenida Vilaboa, 53

A Coruña, Culleredo, Vilaboa Sur, Avenida Vilaboa, 53
249 000 €

Solar edificable. Se permiten 4 alturas + bajo. Espacio soleado en plena Avenida...

0
0 reviews

Terreno en calle Pintor Laxeiro s/n

A Coruña, Culleredo, Portádego - Vilaboa Norte, Calle Pintor Laxeiro s/n
25 000 €

Se venden varias fincas cerca de A corveira. Cualquier duda preguntar.

0
0 reviews

Terreno en Urbanización Obradoiro s/n

A Coruña, A Coruña, Mesoiro, Urbanización Obradoiro s/n
295 000 €

Finca catalogada como urbana. La superficie edificable descuenta un vial a ejecu...

0
0 reviews

Terreno en Cambela s/n

A Coruña, Carral, Cambela s/n
275 000 €

Solar en venta en el Municipio de Carral, a escasos metros de la carretera nacio...

0
0 reviews

Terreno en avenida Vilaboa, 68

A Coruña, Culleredo, Portádego - Vilaboa Norte, Avenida Vilaboa, 68
73 000 €

Se vende finca urbana en pleno centro de Vilaboa para construcción de chalet o c...

0
0 reviews

Terreno en calle Mosteiro de Sobrado, 2

A Coruña, Culleredo, Acea de Ama - The Village, Calle Mosteiro de Sobrado, 2
175 000 €

SE VENDE SUELO URBANO NO CONSOLIDADO DE 1004 M² EN LA CALLE MONASTERIO DE SOBRAD...

0
0 reviews
Call

We use our own and third-party cookies to analyze website usage and show you advertisements related to your preferences based on a profile created from your browsing habits (e.g., pages visited). More information. Do you accept cookies?