Spain Urban Spain Urban Madrid Urban Ciempozuelos Terreno en de la virgen, 36

Terreno en de la virgen, 36

Madrid, Ciempozuelos, Old Town South, De la virgen, 36
146 700 €
Leave review
Urban Property type
482 m² Land area
4 Buildable plots
1 133 m² Buildability
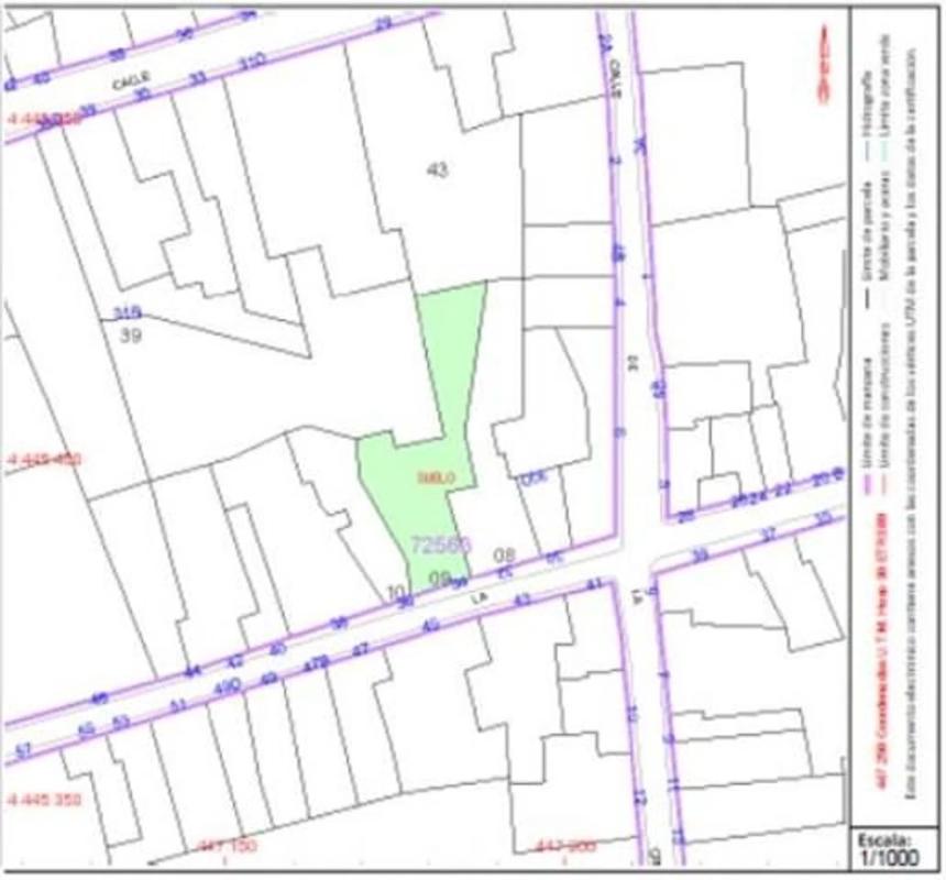
Terreno en venta con una superficie de 482 m², ideal para edificar. Cuenta con una obra parada de un edificio de viviendas, con una superficie construida del proyecto de 1.133 m². La parcela del proyecto tiene una superficie de 608 m² y se estima que la obra realizada hasta el momento es de aproximadamente el 12%. El edificio cuenta con licencia caducada y está diseñado para ser de PS+PB+2P+BC, pero permitiría una edificación de PS+PB+1P+BC. La referencia catastral es 7256309VK447N0001YD / 7256310VK4475N0001AD. El terreno se encuentra en suelo urbano consolidado según el Plan General de Ordenación Urbana (PGOU) de 2009, con ordenanza 1 de grado 2º. Cuenta con todos los servicios básicos como agua, luz, alcantarillado, gas natural, alumbrado público y aceras. Además, se encuentra en un entorno urbano, en un núcleo cercano al municipio. Por su superficie y características, este terreno es perfecto para la construcción de viviendas en altura (bloques) o residencial unifamiliar (chalets). Se permite la edificación de hasta 4 plantas. Aprovecha esta oportunidad para invertir en un terreno con gran potencial en una ubicación privilegiada.

Property characteristics

Complex information

  • Property type
    Urban

Property data

  • Property type
    Second hand

Surfaces

  • Land area
    482 m²

Base

  • Minimum sale plot
    482 m²
  • Urban land
    Consolidated (Land)
  • Buildable plots
    4
  • Buildability
    1 133 m²

Facilities

Supply:

Sewage System

Market price statistics for Terreno en de la virgen, 36

Map

Madrid, Ciempozuelos, Old Town South, De la virgen, 36 Going to this location!
Leave a review about Terreno en de la virgen, 36
0
0 reviews
1
0% (0)
2
0% (0)
3
0% (0)
4
0% (0)
5
0% (0)
N.C. Gestión Inmobiliaria
146 700 €
Contact advertiser

For more information contact the platform

REF: 371279

Reviews about Terreno en de la virgen, 36
Loading...

No reviews have been left for this object yet

Nearest properties

Explore nearby properties we've discovered in close proximity to this location

Terreno en venta en calle Isla Alegranza

Toledo, Seseña, Great Valley, Calle Isla Alegranza
90 000 €

Al Andalus Properties tiene en Venta esta parcela de 550 m2 situada la Urbanizac...

0
0 reviews

Terreno en calle Palomero, 60

Madrid, Ciempozuelos, Caves - Illustration, Calle Palomero, 60
160 000 €

Parcela de 240M2 da a 2 calles, en la principal con C/ Palomero tiene 10m de fac...

0
0 reviews

Terreno en calle Fernández Victorio, 21

Madrid, Ciempozuelos, The Baskets - Bethlehem - The Eras, Calle Fernández Victorio, 21
139 900 €

Se vende parcela urbana de 300 m², con una fachada de 10 metros y un fondo de 30...

0
0 reviews

Terreno en calle Paraguay, 20

Madrid, Ciempozuelos, San Benito - Soledad - Hispanidad, Calle Paraguay, 20
75 000 €

Excelente parcela de ciento treinta metros cuadrados en zona residencial. Orden...

0
0 reviews

Terreno en travesía de los Frailes Viejos, 4

Madrid, Ciempozuelos, Old Town North, Travesía de los Frailes Viejos, 4
700 000 €

Terreno urbano con proyecto de obra para 12 viviendas con garajes y trasteros. T...

0
0 reviews

Terreno en calle del Valle, 2

Madrid, Ciempozuelos, Caves - Illustration, Calle del Valle, 2
134 000 €

2 parcelas de uso unifamiliar adosado con una superficie conjunta de 1.342 m2s (...

0
0 reviews

Terreno en calle del Pintor, 7

Madrid, Ciempozuelos, Caves - Illustration, Calle del Pintor, 7
60 000 €

Terreno céntrico en Ciempozuelos.

0
0 reviews

Terreno en travesía de San Sebastián

Madrid, Ciempozuelos, Caves - Illustration, Travesía de San Sebastián
230 000 €

¿Quieres invertir en la Provincia de Madrid? Century 21 Now IV Te ofrece una gr...

0
0 reviews

Terreno en calle San José

Madrid, Ciempozuelos, Caves - Illustration, Calle San Jose
139 000 €

Este terreno se encuentra en Calle San José, 28350, Ciempozuelos, Madrid. Es un...

0
0 reviews

We use our own and third-party cookies to analyze website usage and show you advertisements related to your preferences based on a profile created from your browsing habits (e.g., pages visited). More information. Do you accept cookies?