Terreno en brion

A Coruña, Brion, Brion
47 000 €
Dejar reseña
Urbanizable Tipo de propiedad
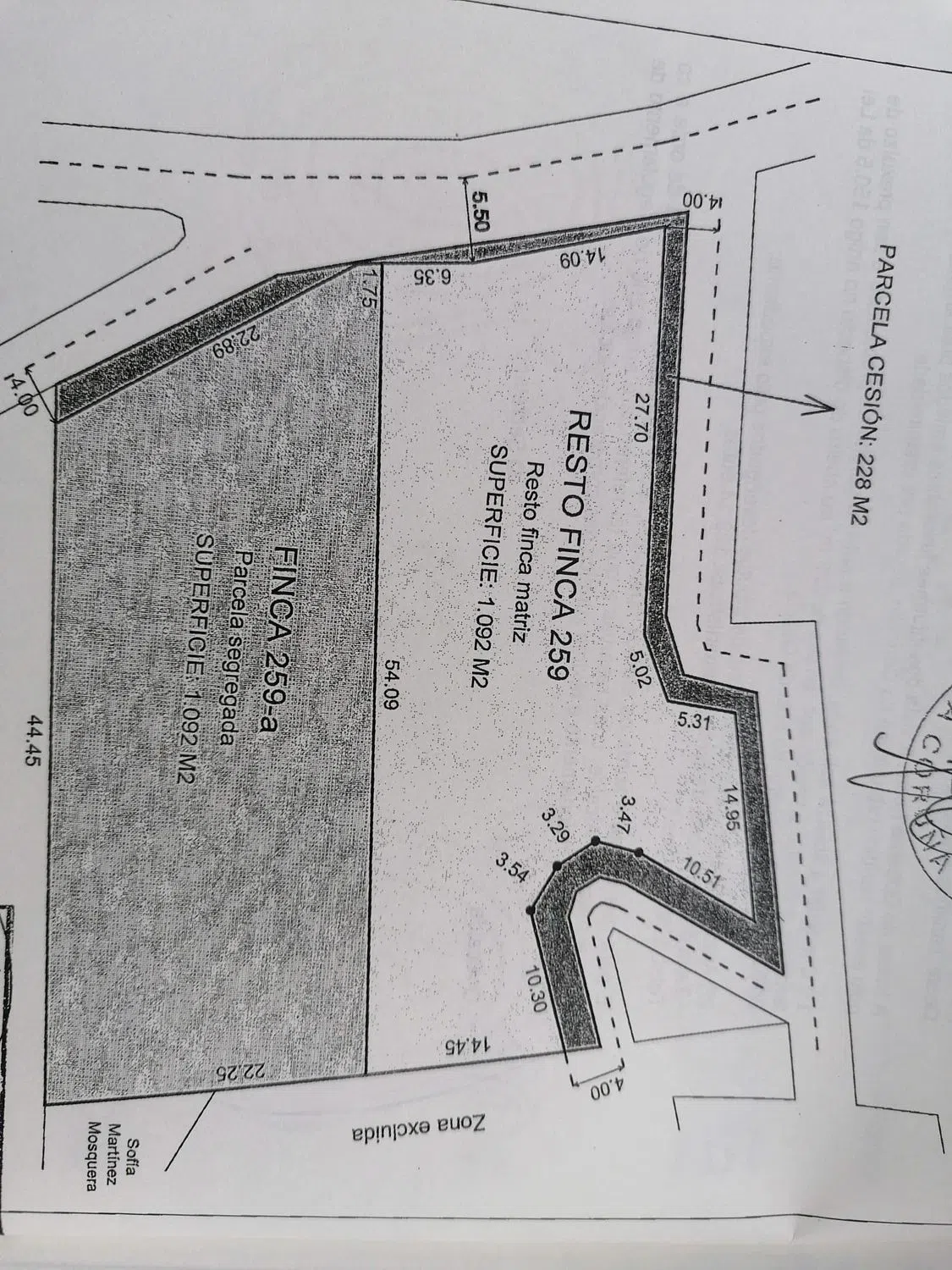
2 184 m² Superficie del terreno
Residencial Uso de parcela
� EXCLUSIVA OPORTUNIDAD DE INVERSIÓN EN BRIÓN – DOS PARCELAS EDIFICABLES A TAN SOLO 10 MINUTOS DE SANTIAGO DE COMPOSTELA � Presentamos esta magnífica oportunidad para adquirir dos parcelas contiguas, completamente edificables, ubicadas en una de las zonas con mayor proyección residencial del entorno de Santiago de Compostela. Con una superficie de 1.092 m² cada una, estas fincas se encuentran en el término municipal de Brión, un enclave privilegiado que combina la tranquilidad del entorno rural gallego con una excelente conexión a los principales centros urbanos. �️ Ubicación estratégica: Las parcelas están situadas a solo 10 minutos del centro histórico de Santiago de Compostela, declarado Patrimonio de la Humanidad, y a 5 minutos de Bertamiráns, una de las zonas más dinámicas y en expansión del área metropolitana. La zona cuenta con acceso rápido a vías principales, transporte público, centros educativos, sanitarios y todo tipo de servicios esenciales. � Características principales del terreno: * Superficie total: 2.184 m² (1.092 m² cada parcela) * Clasificación del suelo: suelo urbano consolidado – totalmente edificable * Uso permitido: residencial unifamiliar * Topografía regular y de fácil acceso * Red de suministros disponible en las inmediaciones (agua, electricidad, alcantarillado) � Ideal para particulares o promotores: Ya sea que busques construir tu hogar en un entorno natural y bien comunicado, o desarrollar un proyecto inmobiliario con alta demanda en la zona, estas parcelas representan una inversión segura y con un enorme potencial de revalorización. El entorno de Brión es conocido por su calidad de vida, rodeado de naturaleza, senderos y paz, pero sin renunciar a la cercanía de una ciudad universitaria, cultural y dinámica como Santiago. Esta combinación hace de estas parcelas una propuesta única para quienes valoran el equilibrio entre tranquilidad, accesibilidad y proyección. � Posibilidades de compra: Se pueden adquirir juntas o por separado, lo que ofrece flexibilidad tanto para proyectos personales como para inversiones a mayor escala. � Para más información, planos, detalles urbanísticos o concertar una visita, no dudes en ponerte en contacto con nosotros: � [Teléfono] � [Correo electrónico] � [Página web o redes sociales]VIPKEL CONSULTING SERVICES - ÚNICA agencia Gallega y Española premiada por: • Premio a la Excelencia. CEX. • Premio Construcción y Vivienda. La Razón. • Premio Innovación Servicios Inmobiliarios. El Suplemento. • Récord de Ventas nueva empresa en Calidad y Crecimiento a nivel europeo. The European Award 2022. • Premio 2024 a Mejor Modelo de Franquicia Innovadora Resultados y trabajo continuo es lo que nos diferencia. Trabajamos un modelo centrado en la satisfacción de vendedores y compradores durante todo el proceso de inversión. Este anuncio no es vinculante, puede contener errores. Se muestra a título informativo y no contractual.

Características de la propiedad

Complex information

  • Tipo de propiedad
    Urbanizable

Datos de la propiedad

  • Tipo de la propiedad
    Segunda mano

Superficies

  • Superficie del terreno
    2 184 m²

Base

  • Suelo no urbanizable
    Rústico o Rural
  • Suelo urbano
    Consolidado (Solar)
  • Uso de parcela
    Residencial

Instalaciones

Suministro:

Alcantarillado

Características adiciónales:

Terreno edificable

Planos

Estadísticas de precios del mercado para Terreno en brion

Mapa

A Coruña, Brion, Brion Ir a la propiedad
Deja una opinión sobre Terreno en brion
0
0 reseñas
1
0% (0)
2
0% (0)
3
0% (0)
4
0% (0)
5
0% (0)
VipKel Consulting Services
47 000 €
Contactar con la plataforma

para obtener más información contacta con el catálogo

REF: 346259

Opiniones sobre Terreno en brion
Loading...

No reviews have been left for this object yet

Propiedades más cercanas

Explora propiedades cercanas que hemos descubierto en las proximidades de esta ubicación.

Terreno en Aldea Lago

A Coruña, Brion
179 900 €

ESTÁS INTERESADO EN UN TERRENO TOTALMENTE EDIFICABLE CERCA DE SANTIAGO? PUEDE QU...

0
0 opiniones

Terreno en Aldea Cirro, 27

A Coruña, Brion
50 000 €

Se vende parcela edificable, llana, orientación este-sur. A 2 km de Bertamiráns.

0
0 opiniones

Terreno en Reboredo Pequeno s/n

A Coruña, Brion, Reboredo Pequeno s/n
29 000 €

Suelo de núcleo rural. Ordenanza nº 8 del PGOM, NRL-2. Edificabilidad 0,20 m2. O...

0
0 opiniones

Terreno en Aldea Soutullos, 18

A Coruña, Brion, Aldea Soutullos, 18
35 000 €

Ordenanza de aplicación nº 1, usos permitidos: Vivienda unifamiliar y plurifamil...

0
0 opiniones

Terreno en Cp-0202, km 202

A Coruña, Ames, Área de Ames, CP-0202, km 202
27 000 €

Finca soleada orientación sur. Parcelas de 1.020 metros cuadrados con 16 metros...

0
0 opiniones

Terreno en Brians de Abaixo( a Estivada) s/n

A Coruña, Brion, Brians de Abaixo( A Estivada) s/n
20 000 €

Vitae Compostela gestiona la venta de esta finca urbanizable para hacer una vivi...

0
0 opiniones

Terreno en Brans de Abaixo

A Coruña, Brion, Brans de Abaixo
336 000 €

¡INVERSORES y EMPRENDEDORES, atención! VIPKEL te presenta una OPORTUNIDAD únic...

0
0 opiniones

Terreno en Brans de Abaixo

A Coruña, Brion, Brans de Abaixo
42 000 €

¡OPORTUNIDAD única en Brion! VIPKEL te ofrece esta excepcional parcela de 468...

0
0 opiniones

Terreno en Aldea Ocasal, 27

A Coruña, Brion, Aldea Ocasal, 27
100 000 €

Parcela de 3.770 m2, parte rústico y parte urbano. Ideal para una vivienda unifa...

0
0 opiniones
Llamada

Utilizamos cookies propias y de terceros para analizar el uso del sitio web y mostrarte publicidad relacionada con tus preferencias sobre la base de un perfil elaborado a partir de tus hábitos de navegación (por ejemplo, páginas visitadas). Más información. ¿Aceptas las cookies?