Terreno en camino Dos Vilares 172

A Coruña, Santiago de Compostela, Campus norte - S.Caetano, Camino DOS VILARES 172
100 000 €
Dejar reseña
Urbano Tipo de propiedad
342 m² Superficie del terreno
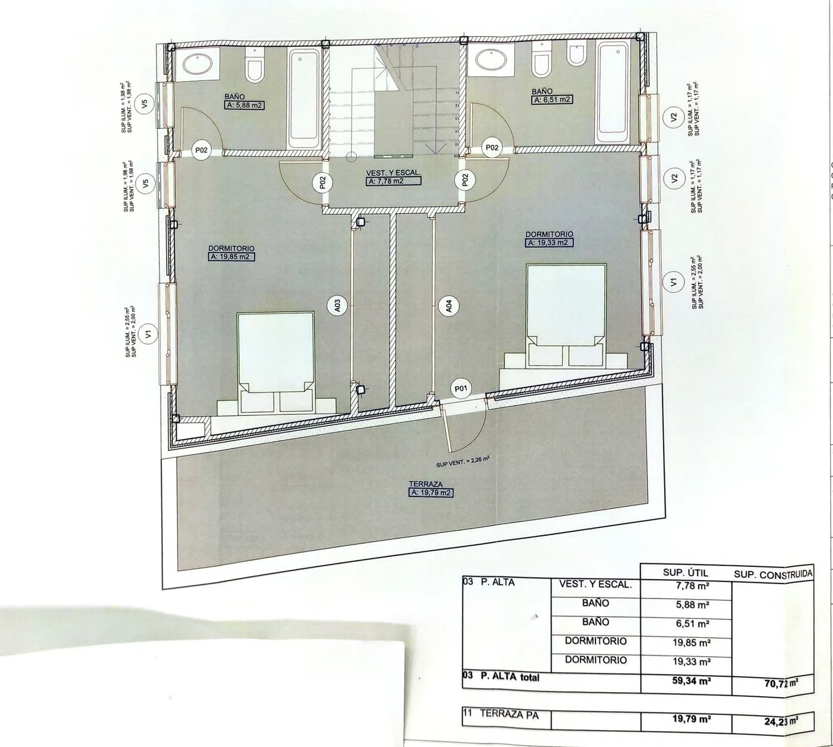
Terreno ubicado en Camino dos Vilares. Meixonfrío. Meixonfrío el ultimo barrio urbano y primero del rural del norte de Santiago por donde discurre el Camino inglés. Es un barrio muy tranquilo dotado con zonas comerciales supermercados, colegios, institutos, paradas de autobús, farmacias etc… La propiedad consta de 311m2 con Uso Urbano. Este terreno se vende con proyecto y licencia de construcción, con posibilidad de cambios tanto en la ejecución como en las calidades de materiales. El proyecto está diseñado para una casa unifamiliar con planta sótano, planta baja, planta primera y planta bajo cubierta. En la planta baja se accede a través de un garaje, y está ubicada también la cocina, un aseo, salón comedor y una terraza. En la planta primera está ubicadas las dos habitaciones principales ambas con baño y una de ellas dispone de una terraza de gran tamaño 20m2 aprox. En la planta bajo cubierta está el tercer dormitorio, un aseo y otra amplia terraza, esta de 10m2. La vivienda tiene un jardín de 150 m2. Tiene todos los servicios necesarios tales como electricidad, teléfono, agua y saneamiento. No dude en contactar para más información y agendar su visita, estaremos encantados de atenderles.

Características de la propiedad

Complex information

  • Tipo de propiedad
    Urbano

Datos de la propiedad

  • Tipo de la propiedad
    Segunda mano

Superficies

  • Superficie del terreno
    342 m²

Base

  • Suelo no urbanizable
    Rústico o Rural

Planos

Estadísticas de precios del mercado para Terreno en camino Dos Vilares 172

Mapa

A Coruña, Santiago de Compostela, Campus norte - S.Caetano, Camino DOS VILARES 172 Ir a la propiedad
Deja una opinión sobre Terreno en camino Dos Vilares 172
0
0 reseñas
1
0% (0)
2
0% (0)
3
0% (0)
4
0% (0)
5
0% (0)
Mar e Costa inmobiliaria
100 000 €
Contactar con la plataforma

para obtener más información contacta con el catálogo

REF: 346318

Opiniones sobre Terreno en camino Dos Vilares 172
Loading...

No reviews have been left for this object yet

Propiedades más cercanas

Explora propiedades cercanas que hemos descubierto en las proximidades de esta ubicación.

Terreno en Campus sur - Santa Marta

A Coruña, Santiago de Compostela, Campus sur - Santa Marta, Campus sur - Santa Marta
27 000 €

Se vende este terreno de suelo urbano de 505m2 en Vilaño, a 2km de A Laracha, cu...

0
0 opiniones

Terreno en Pedrido, 14

A Coruña, Santiago de Compostela, Campus sur - Santa Marta, Pedrido, 14
69 000 €

FINCA URBANA EN PEDRIDO - ROXOS Finca urbana en Pedrido a escasos minutos del ce...

0
0 opiniones

Terreno en Aldea Mercuto, 19

A Coruña, Ames, Área de Ames, Aldea Mercuto, 19
45 000 €

SUELO EDIFICABLE EN ZONA AMEIXENDA - AMES Se vende suelo edificableen carretera...

0
0 opiniones

Terreno en Castiñeiriño - Cruceiro do Sar

A Coruña, Santiago de Compostela, Castiñeiriño - Cruceiro do Sar, Castiñeiriño - Cruceiro do Sar
380 000 €

Superficie total 245 m², solar superficie solar 169 m², alumbrado.

0
0 opiniones

Terreno en calle da Burata

A Coruña, Santiago de Compostela, Campus norte - S.Caetano, Calle da Burata
83 000 €

Se Vende Terreno Edificable DE 288 M2, Ubicado  en una zona residencial tranquil...

0
0 opiniones

Terreno en Lugar de Covas, 37

A Coruña, Teo, Lugar de Covas, 37
105 000 €

Finca de 1308 m2 con 824 m2 edificables en núcleo rural de Covas, pegado a Os Ti...

0
0 opiniones

Terreno en Aldea Mercuto

A Coruña, Ames, Área de Ames, Aldea Mercuto
59 500 €

SUELO EDIFICABLE EN ZONA AMEIXENDA - AMES Se vende suelo edificable en carretera...

0
0 opiniones

Terreno en Campus sur - Santa Marta

A Coruña, Santiago de Compostela, Campus sur - Santa Marta, Campus sur - Santa Marta
150 000 €

Superficie total 3400 m², terreno superficie solar 3400 m².

0
0 opiniones

Terreno en calle da República Checa

A Coruña, Santiago de Compostela, San Lazaro - Meixonfrio, Calle da República Checa
320 000 €

Se vende parcela industrial en Santiago de Compostela. Se vende parcela industri...

0
0 opiniones

Utilizamos cookies propias y de terceros para analizar el uso del sitio web y mostrarte publicidad relacionada con tus preferencias sobre la base de un perfil elaborado a partir de tus hábitos de navegación (por ejemplo, páginas visitadas). Más información. ¿Aceptas las cookies?