Terreno en calle del Catamara, 5

Alicante, Denia, Les Marines/Las Marinas, Calle del Catamara, 5
1 500 000 €
Dejar reseña
Urbanizable Tipo de propiedad
2 016 m² Superficie del terreno
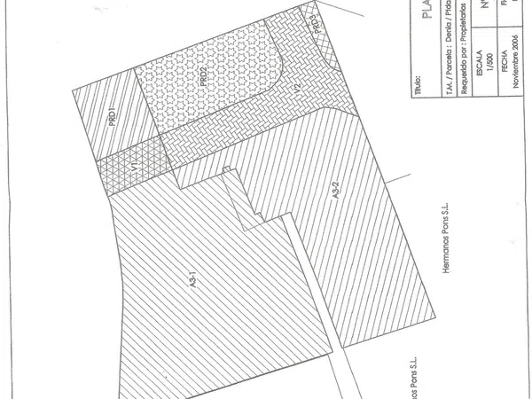
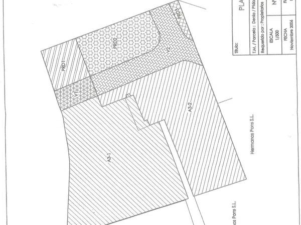
Terreno en Denia: Superficie construible A3-2: 1943m2+ 73m2(un tercio del camino de los 3)= 2016m2 edificabilidad: 1.2x 2016m2= 2420metros cuadrados de techo ocupación del solar: 0.4x 2016m2=806m2 se puede construir planta baja, tres alturas y ático + el sótano correspondiente. La parcela tiene pagado el aprovechamiento urbanístico, firmado con el ayuntamiento, y tiene toma de fecales y pluviales todo esto realizado por el M. I. Ayuntamiento de Denia, o sea la parcela esta lista y sin ningún problema para construir.

Características de la propiedad

Complex information

  • Tipo de propiedad
    Urbanizable

Datos de la propiedad

  • Tipo de la propiedad
    Segunda mano

Superficies

  • Superficie del terreno
    2 016 m²

Instalaciones

Características adiciónales:

Terreno edificable

Estadísticas de precios del mercado para Terreno en calle del Catamara, 5

Mapa

Alicante, Denia, Les Marines/Las Marinas, Calle del Catamara, 5 Ir a la propiedad
Deja una opinión sobre Terreno en calle del Catamara, 5
0
0 reseñas
1
0% (0)
2
0% (0)
3
0% (0)
4
0% (0)
5
0% (0)
1 500 000 €
Contactar con la plataforma

para obtener más información contacta con el catálogo

REF: 162655

Opiniones sobre Terreno en calle del Catamara, 5
Loading...

No reviews have been left for this object yet

Propiedades más cercanas

Explora propiedades cercanas que hemos descubierto en las proximidades de esta ubicación.

Terreno en carretera de les Marines a Dénia

Alicante, Els Poblets
1 055 000 €

Parcela totalmente urbanizada con la posibilidad de construir 6 viviendas unifam...

0
0 opiniones

Terreno en carretera de les Marines a Dénia

Alicante, Els Poblets
2 265 000 €

Parcela totalmente urbanizada con la posibilidad de construir 12 viviendas unifa...

0
0 opiniones

Terreno en calle de Auriga, 20

Alicante, Jávea/Xàbia, Montgó - Ermita, Calle de Auriga, 20
158 000 €

¿Quieres comprar un suelo urbano residencial en Jávea? Excelente oportunidad de...

0
0 opiniones

Terreno en Barrio Les Bassetes-El Marjal

Alicante, Denia, Les Marines/Las Marinas, Barrio Les Bassetes-El Marjal
1 450 000 €

Oportunidad inversión 13 habitaciones y local primera linea Denia El Hostal Oasi...

0
0 opiniones

Terreno en calle Cassandra

Alicante, Denia, La Pedrera-Vessanes, Calle Cassandra
295 000 €

Parcela grande, edificable y divisible en ladera sur en Denia Esta propiedad es...

0
0 opiniones

Terreno en avenida Juan Carlos i

Alicante, El Verger
340 000 €

Parcela rústica con licencia de obra y proyecto en el entorno natural de las afu...

0
0 opiniones

Terreno en Assagador de Santa Llúcia

Alicante, Denia, El Montgó, Assagador de Santa Llúcia
260 000 €

Bonita parcela con impresionantes vistas al mar, situada en la exclusiva zona de...

0
0 opiniones

Terreno en Parcela 60 D4, Partida El Montgo, Marina Alta s/n

Alicante, Jávea/Xàbia, Montgó - Ermita, PARCELA 60 D4, PARTIDA EL MONTGO, Marina Alta s/n
144 000 €

¿Buscas comprar suelo en venta en Jávea (Alicante)? Excelente oportunidad de adq...

0
0 opiniones

Terreno en calle Core, 11

Alicante, Denia, La Pedrera-Vessanes, Calle Core, 11
130 800 €

Parcela para construir en urbanización consolidada en Denia, en la zona denomina...

0
0 opiniones

Utilizamos cookies propias y de terceros para analizar el uso del sitio web y mostrarte publicidad relacionada con tus preferencias sobre la base de un perfil elaborado a partir de tus hábitos de navegación (por ejemplo, páginas visitadas). Más información. ¿Aceptas las cookies?