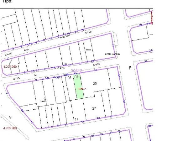
Terreno en calle la Paz, 8 -a

Alicante, Torrevieja, Centro, Calle la Paz, 8 -A
130 000 €
Dejar reseña
Urbano Tipo de propiedad
117 m² Superficie del terreno
Gas natural Calefacción
Si Suministro de agua
4 Plantas edificables
456 Superficie edificable
Acceso via urbana Tipo de acceso
Si Suministro de electricidad
Residencial Uso de parcela
Solar en la calle La Paz, de 5.70 m de fachada por 20.50 m de fondo Junto el museo de la estación, zona residencia y uso residencia, zona tranquila con todos los servicios y a un paso del club náutico Marina Internacional. Primera residencia. La superficie edificable que se indica es sobre rasante, orientación norte. Numero de alturas máximas edificables sobre rasante 4 ( p. b +2+ático retranqueado), Manzana densa. Disponemos cédula urbanística.

Características de la propiedad

Complex information

  • Tipo de propiedad
    Urbano

Memoria de Calidades

  • Calefacción
    Gas natural

Datos de la propiedad

  • Tipo de la propiedad
    Segunda mano

Superficies

  • Superficie del terreno
    117 m²

Base

  • Parcela minima venta
    117 m²
  • Suministro de agua
    Si
  • Plantas edificables
    4
  • Superficie edificable
    456
  • Tipo de acceso
    Acceso via urbana
  • Suministro de electricidad
    Si
  • Uso de parcela
    Residencial

Instalaciones

Suministro:

Con agua
Con electricidad
Alcantarillado

Uso del suelo:

Residencial

Características adiciónales:

Terreno edificable
Alumbrado público
Aceras

Planos

Estadísticas de precios del mercado para Terreno en calle la Paz, 8 -a

Mapa

Alicante, Torrevieja, Centro, Calle la Paz, 8 -A Ir a la propiedad
Deja una opinión sobre Terreno en calle la Paz, 8 -a
0
0 reseñas
1
0% (0)
2
0% (0)
3
0% (0)
4
0% (0)
5
0% (0)
Servicios Fincas la TASADORA
130 000 €
Contactar con la plataforma

para obtener más información contacta con el catálogo

REF: 178028

Opiniones sobre Terreno en calle la Paz, 8 -a
Loading...

No reviews have been left for this object yet

Propiedades más cercanas

Explora propiedades cercanas que hemos descubierto en las proximidades de esta ubicación.

Terreno en calle Alhambra, 6

Alicante, Orihuela, Orihuela Costa, Calle Alhambra, 6
620 400 €

Dos terrenos de 519 y 514 metros cuadrados cada uno, en el corazón de la Zenia....

0
0 opiniones

Terreno en avenida Diego Ramírez Pastor

Alicante, Torrevieja, Playa del Cura, Avenida Diego Ramírez Pastor
350 000 €

MAGNIFICA INVERSIÓN, licencia de obra vigente, solar de 220 metros en esquina a...

0
0 opiniones

Terreno en avenida Diego Ramírez Pastor

Alicante, Torrevieja, Playa del Cura, Avenida Diego Ramírez Pastor
350 000 €

MAGNIFICA INVERSIÓN, licencia de obra vigente, solar de 220 metros en esquina a...

0
0 opiniones

Terreno en Barrio Las Piscinas Naturales

Alicante, Torrevieja, Playa del Cura, Barrio Las Piscinas Naturales
350 000 €

Planta baja de 243 metros cuadrados, con 9 metros de fachada y 23 metros de fond...

0
0 opiniones

Terreno en Barrio Playa del Cura

Alicante, Torrevieja, Playa del Cura, Barrio Playa del Cura
350 000 €

Esta parcela se encuentra en una ubicación increíble, a tan solo 150 metros de l...

0
0 opiniones

Terreno en Barrio Nueva Torrevieja

Alicante, Torrevieja, Nueva Torrevieja - Aguas Nuevas, Barrio Nueva Torrevieja
270 000 €

Venta parcela o solar residencial aguas nuevas en Avd. Baleares, Torrevieja, Ali...

0
0 opiniones

Terreno en Barrio La Veleta

Alicante, Torrevieja, El Acequión - Los Náufragos, Barrio La Veleta
480 000 €

Descubre esta amplia parcela de 700 m2 ubicada en la calle Mar del Norte, en la...

0
0 opiniones

Terreno en Barrio Nueva Torrevieja

Alicante, Torrevieja, Nueva Torrevieja - Aguas Nuevas, Barrio Nueva Torrevieja
300 000 €

Parcela con Casa en Nueva Torrevieja, Torrevieja. 475 m² Parcela 114 m² construi...

0
0 opiniones

Terreno en Barrio Las Piscinas Naturales

Alicante, Torrevieja, Playa del Cura, Barrio Las Piscinas Naturales
840 000 €

Se ofrece una parcela de ubicación privilegiada en el corazón de Torrevieja, a t...

0
0 opiniones
Llamada

Utilizamos cookies propias y de terceros para analizar el uso del sitio web y mostrarte publicidad relacionada con tus preferencias sobre la base de un perfil elaborado a partir de tus hábitos de navegación (por ejemplo, páginas visitadas). Más información. ¿Aceptas las cookies?