España Urbano España Urbano Almería Urbano Mojácar Terreno en avenida de la Luz, 42

Terreno en avenida de la Luz, 42

Almería, Mojácar, Zona el Palmeral, Avenida de la Luz, 42
270 000 €
Dejar reseña
Urbano Tipo de propiedad
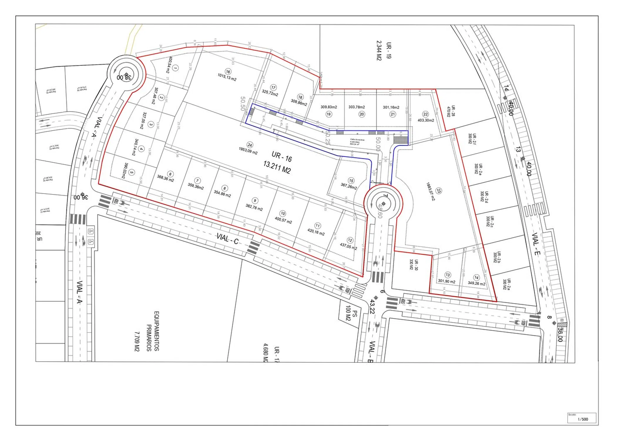
301 m² Superficie del terreno
168 m² Superficie edificable
¿Te gustaría vivir en un lugar privilegiado? En Mojácar, junto al Mercadona (Avda. de la Luz. ) podrás conseguirlo. A la venta, parcelas con unas características y proyecciones inmejorables. Ubicadas en un enclave magnifico rodeado con los servicios necesarios a tan solo minutos. Y gracias al nuevo acceso a Mojácar muy próximo a esta zona, se evitara trafico y aumentara su calidad de vida. Las viviendas contaran con unas vistas al mar y al pueblo de Mojácar excelentes. Los solares incluyen proyecto básico y licencia municipal de obras. Solares desde 180.000 €. Superficie desde 300 m2 y edificabilidad desde 164,60 m2 Agua, electricidad, saneamiento y teléfono a pie de parcela. Superficie de terreno plano con excavación realizada. Disponemos de mas parcelas en esta zona. ¿Quiere conocer mas detalles? , llámenos! Inmobiliaria el Puerto. Conozca nuestras viviendas: Almerimar: Portobello- Entreverde- Los Alcores. Aguadulce: Del Carmen. Antia Almeria: Vaika- La Vega de Acá. Athenas- El toyo. Mojacar: Atalaya de Mojácar - Altos de Mojacar. *Precios sin impuestos*.

Características de la propiedad

Complex information

  • Tipo de propiedad
    Urbano

Datos de la propiedad

  • Tipo de la propiedad
    Segunda mano

Superficies

  • Superficie del terreno
    301 m²

Base

  • Parcela minima venta
    301 m²
  • Superficie edificable
    168 m²

Instalaciones

Vistas:

Vistas al mar

Estadísticas de precios del mercado para Terreno en avenida de la Luz, 42

Mapa

Almería, Mojácar, Zona el Palmeral, Avenida de la Luz, 42 Ir a la propiedad
Deja una opinión sobre Terreno en avenida de la Luz, 42
0
0 reseñas
1
0% (0)
2
0% (0)
3
0% (0)
4
0% (0)
5
0% (0)
El Puerto Grupo Promotor
270 000 €
Contactar con la plataforma

para obtener más información contacta con el catálogo

REF: 384600

Opiniones sobre Terreno en avenida de la Luz, 42
Loading...

No reviews have been left for this object yet

Propiedades más cercanas

Explora propiedades cercanas que hemos descubierto en las proximidades de esta ubicación.

Terreno en venta en calle Macenas, 40

Almería, Mojácar, Pueblo Indalo-Ventanicas-El Cantal, Calle Macenas, 40
275 000 €

Parcela Urbana en Venta en el Corazón de Macenas, Mojácar Playa en Almería, Anda...

0
0 opiniones

Terreno en calle Lance

Almería, Mojácar, Mojácar Pueblo, Calle Lance
86 000 €

Oportunidad fantástica para hacerte la casa a tu medida en Mojacar Pueblo, práct...

0
0 opiniones

Terreno en calle Charcos de Bermejo

Almería, Mojácar, Zona el Palmeral, Calle Charcos de Bermejo
165 000 €

Descubre esta magnífica parcela, ubicada a tan solo 150 metros de la hermosa pla...

0
0 opiniones

Terreno en calle Almeria

Almería, Mojácar, Zona Vista de los Ángeles, Calle Almería
690 000 €

Parcela situada justo detrás de el parador de Mojacar en una zona envidiable par...

0
0 opiniones

Terreno en calle Macenas

Almería, Mojácar, Pueblo Indalo-Ventanicas-El Cantal, Calle Macenas
290 000 €

Parcela con vistas al mar.

0
0 opiniones

Terreno en Paraje Cañada del Palmar

Almería, Turre, Paraje Cañada del Palmar
590 000 €

Terreno urbanizable situado en Paraje Cañada de la Alberquilla y Llano Quemado,...

0
0 opiniones

Terreno en calle Embajadores

Almería, Mojácar, Mojácar Pueblo, Calle Embajadores
52 000 €

Suelo urbano en venta Mojácar, Granada. Se trata de un suelo urbano que tiene co...

0
0 opiniones

Terreno en calle Malaga, 2 a

Almería, Mojácar, Zona Vista de los Ángeles, Calle Malaga, 2 A
7 000 000 €

¡Descubre la oportunidad que estabas esperando! Este terreno único en el términ...

0
0 opiniones

Terreno en calle Alfonso XIII

Almería, Garrucha, Playa de Garrucha, Calle Alfonso XIII
1 260 000 €

Suelo urbano no consolidado de forma geométrica con una topografía en declive oe...

0
0 opiniones

Utilizamos cookies propias y de terceros para analizar el uso del sitio web y mostrarte publicidad relacionada con tus preferencias sobre la base de un perfil elaborado a partir de tus hábitos de navegación (por ejemplo, páginas visitadas). Más información. ¿Aceptas las cookies?