España Urbano España Urbano Madrid Urbano Torrejón de Ardoz Terreno en calle Gabriela Mistral, 38

Terreno en calle Gabriela Mistral, 38

Madrid, Torrejón de Ardoz, Sureste, Calle Gabriela Mistral, 38
250 000 €
Dejar reseña
Urbano Tipo de propiedad
232 m² Superficie del terreno
4 Plantas edificables
210 m² Superficie edificable
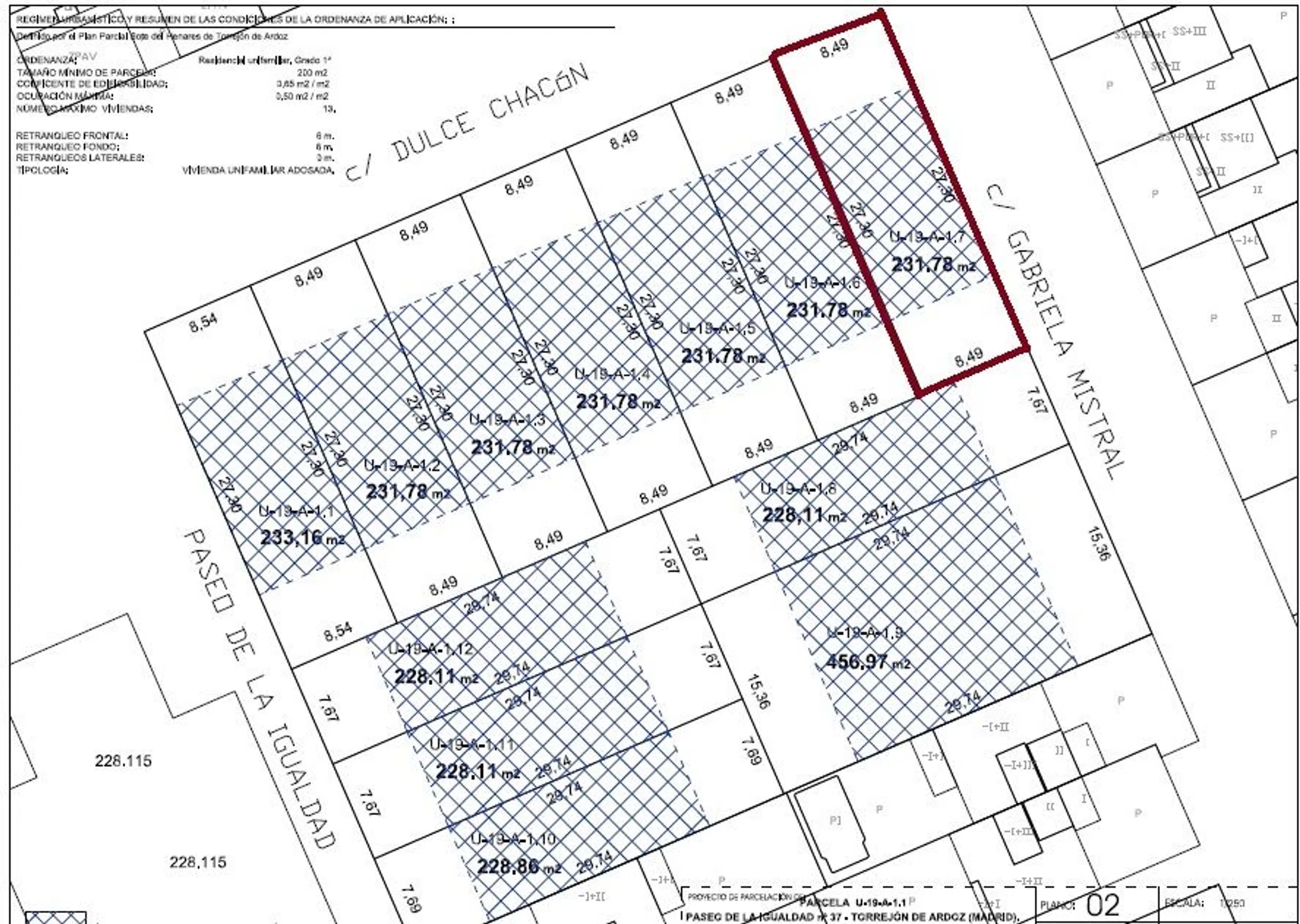
Excelente parcela de ESQUINA de 231,78 m2, con 8,49 m de fachada, en la mejor zona de Torrejón de Ardoz, Soto del Henares. Venta de particular (ITP). Rodeada de zonas verdes y todo tipo de servicios (Hospital, Colegios, Centros Comerciales, . ). Posibilidad de construcción en Planta Baja y Planta Primera, además de Sótano y Bajocubierta. Dimensiones: 8,49m x 27,30m.

Características de la propiedad

Complex information

  • Tipo de propiedad
    Urbano

Datos de la propiedad

  • Tipo de la propiedad
    Segunda mano

Superficies

  • Superficie del terreno
    232 m²

Base

  • Parcela minima venta
    232 m²
  • Plantas edificables
    4
  • Superficie edificable
    210 m²

Instalaciones

En edificio:

Sótano

Estadísticas de precios del mercado para Terreno en calle Gabriela Mistral, 38

Mapa

Madrid, Torrejón de Ardoz, Sureste, Calle Gabriela Mistral, 38 Ir a la propiedad
Deja una opinión sobre Terreno en calle Gabriela Mistral, 38
0
0 reseñas
1
0% (0)
2
0% (0)
3
0% (0)
4
0% (0)
5
0% (0)
José Antonio .
250 000 €
Contactar con la plataforma

para obtener más información contacta con el catálogo

REF: 368992

Opiniones sobre Terreno en calle Gabriela Mistral, 38
Loading...

No reviews have been left for this object yet

Propiedades más cercanas

Explora propiedades cercanas que hemos descubierto en las proximidades de esta ubicación.

Terreno en venta en paseo de la Fraternidad, 23

Madrid, Torrejón de Ardoz, Sureste, Paseo de la Fraternidad, 23
196 000 €

Parcela urbana en Torrejón de Ardoz, zona, Soto del Henares.203m2 de Parcela en...

0
0 opiniones

Terreno en Reyes Católicos

Madrid, Alcalá de Henares, Reyes Católicos, Reyes Católicos
488 000 €

Tipo:  Suelo Uso:  Industrial Tipologia:  MIxto Clasificacion:  Suelo Urbanizabl...

0
0 opiniones

Terreno en calle Camarmilla, 7

Madrid, Alcalá de Henares, La Garena, Calle Camarmilla, 7
2 000 000 €

Suelo industrial en casco urbano de Alcalá de Henares con todos los servicios. S...

0
0 opiniones

Terreno en La Garena

Madrid, Alcalá de Henares, La Garena, La Garena
15 000 000 €

Suelo industrial en Alcalá de Henares de 42.000 m² cuenta con licencia de obras...

0
0 opiniones

Terreno en Montserrat - Parque Empresarial

Madrid, San Fernando de Henares, Montserrat - Parque Empresarial, Montserrat - Parque Empresarial
4 100 000 €

■ Superficie de parcela: 10.664 m² ■ Régimen urbanístico: Uso principal Industri...

0
0 opiniones

Terreno en calle de Plutón

Madrid, San Fernando de Henares, Montserrat - Parque Empresarial, Calle de Plutón
4 100 000 €

Solar industrial en venta situada en el poligono industrial de San Fernando del...

0
0 opiniones

Terreno en avenida Madrid Km 27

Madrid, Alcalá de Henares, La Garena, Avenida Madrid Km 27
454 000 €

Suelo urbanizable de uso mixto situado en Alcalá de Henares, ciudad española per...

0
0 opiniones

Terreno en Suroeste

Madrid, Torrejón de Ardoz, Suroeste, Suroeste
199 000 €

¡OPORTUNIDAD ÚNICA! Venta de terreno urbano en San Benito – Torrejón de Ardoz Z...

0
0 opiniones

Terreno en avenida Madrid Km 27

Madrid, Alcalá de Henares, La Garena, Avenida Madrid Km 27
454 000 €

Suelo urbanizable de uso mixto situado en Alcalá de Henares, ciudad española per...

0
0 opiniones

Utilizamos cookies propias y de terceros para analizar el uso del sitio web y mostrarte publicidad relacionada con tus preferencias sobre la base de un perfil elaborado a partir de tus hábitos de navegación (por ejemplo, páginas visitadas). Más información. ¿Aceptas las cookies?