Spain Urban Spain Urban Alicante Urban Benissa Terreno en Cala Advocat - Baladrar

Terreno en Cala Advocat - Baladrar

Alicante, Benissa, Cala Advocat - Baladrar, Cala Advocat - Baladrar
1 500 000 €
Leave review
Urban Property type
2 380 m² Land area
Fruit trees Crops
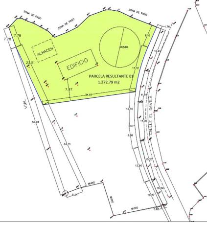
Parcela 1: Parcela situada en el Término Municipal de Benissa, Calle El Gavilá 18-A, de mil doscientos setenta y dos metros cuadrados con setenta y nueve centímetros cuadrados (1.272, 79 m2). Dentro del perímetro de esta parcela, existe una vivienda de doscientos veinte metros cuadrados (220 m2) de superficie construida, y un garaje en edificación aparte de cincuenta metros cuadrados (50 m2) de superficie construida. La superficie de parcela ocupada es de 88 m2 de vivienda y 50 m2 de garaje = 138m2 ciento treinta y ocho metros cuadrados (138 m2). Ambos edificios van a demolerse Este, Calle El Gavilá en todo su frente. Oeste, Vial de nueva apertura. Finca con referencia catastral 7647311BC4874N0001FR propiedad de Juan Antonio Bertomeu Valles. APROVECHAMIENTO URBANÍSTICO El resultante de aplicar el PGOU-82. - Parcela mínima 800 m2. Dispone de 1.272, 79 m2 (cumple) - Retranqueo mínimo: 5 m. a la alineación viaria y 4 m a lindes de parcela. - Ocupación máxima: 20% de 1.272, 79 m2 = 254,56. - Edificabilidad: 0.25 m2t/m2s (1.272, 79 x 0.25 = 318,20 m2). - Condiciones de parcela: puede inscribirse un círculo de 15 m. de diámetro y su frente a vía pública supera el mínimo de 6,00 m Parcela 2: Parcela situada en el Término Municipal de Benissa, Calle El Gavilá 18-B, de mil ciento siete metros cuadrados con cincuenta y dos centímetros cuadrados (1.107, 52 m2). El resultante de aplicar el PGOU-82. Está libre de edificaciones (sobre su superficie no existe ninguna). - Parcela mínima 800 m2. Dispone de 1.107, 52 m2 (cumple). - Ocupación máxima: 20% de 1.107. 52 m2 = 221.50 m2. - Edificabilidad: 0.25 m2t/m2s (1.107, 52 x 0.25 = 276,88 m2). - Condiciones de parcela: puede inscribirse un círculo de 15 m. de diámetro y su frente a vía pública supera el mínimo de 6,00 m.

Property characteristics

Complex information

  • Property type
    Urban

Property data

  • Property type
    Second hand

Surfaces

  • Land area
    2 380 m²

Base

  • Crops
    Fruit trees

Facilities

Cultivation:

Food cultivation

Additional Features:

Building plot

Plans

Market price statistics for Terreno en Cala Advocat - Baladrar

Map

Alicante, Benissa, Cala Advocat - Baladrar, Cala Advocat - Baladrar Going to this location!
Leave a review about Terreno en Cala Advocat - Baladrar
0
0 reviews
1
0% (0)
2
0% (0)
3
0% (0)
4
0% (0)
5
0% (0)
Schnatz Premium Villas
1 500 000 €
Contact advertiser

For more information contact the platform

REF: 235626

Reviews about Terreno en Cala Advocat - Baladrar
Loading...

No reviews have been left for this object yet

Nearest properties

Explore nearby properties we've discovered in close proximity to this location

Terreno en venta en Grupo Pinos los Urban

Alicante, Calpe, Cometa-Carrió, Grupo Pinos los Urban
149 000 €

Descubre una oportunidad única para construir la casa de tus sueños en una parce...

0
0 reviews

Terreno en venta en Benissa pueblo

Alicante, Benissa, Benissa village
180 000 €

Descubre 15,000 m2 de paraíso en la codiciada costa de Benissa, a solo 7 minutos...

0
0 reviews

Terreno en venta en Partida Empedrola II

Alicante, Calpe, Cometa-Carrió, Partida Empedrola II
145 000 €

Calpe Urb Empedrola II. Parcela de 1. 000 m2, apta para construir una vivienda u...

0
0 reviews

Urban land For sell in Benissa in Alicante

Alicante, Benissa
184 000 €

The 1350m2 plot is located in a quiet area, and offers electricity and water con...

0
0 reviews

Urban land For sell in Benissa in Alicante

Alicante, Benissa
175 000 €

The 1350m2 plot is located in a quiet area, and offers electricity and water con...

0
0 reviews

Terreno en Benissa pueblo

Alicante, Benissa, Benissa village, Benissa pueblo
90 000 €

Esta espaciosa parcela rural de poco más de 8000 m² ofrece un remanso de paz y m...

0
0 reviews

Terreno en Teulada

Alicante, Teulada
275 000 €

Esta impresionante parcela de terreno rústico tiene una extensión de 10.400 metr...

0
0 reviews

Terreno en Cometa-Carrió

Alicante, Calpe, Cometa-Carrió, Cometa-Carrió
1 100 000 €

Oportunidad de Inversión, 856 m2 parcela para la construcción de un chalet de lu...

0
0 reviews

Terreno en Teulada

Alicante, Teulada
2 000 000 €

Parcela a la venta con fantásticas vistas abiertas al mar Mediterráeno y a la si...

0
0 reviews
Call

We use our own and third-party cookies to analyze website usage and show you advertisements related to your preferences based on a profile created from your browsing habits (e.g., pages visited). More information. Do you accept cookies?