Spain Non-urbanizable Spain Non-urbanizable Alicante Non-urbanizable El Campello Terreno en calle Urbanización Coveta Fuma-Minerva

Terreno en calle Urbanización Coveta Fuma-Minerva

Alicante, El Campello, Spanish Town - Coveta Fumá, Calle Urbanización Coveta Fuma-Minerva
45 000 €
Leave review
Non-urbanizable Property type
90 m² Land area
Urban access Access type
Residential Use of lot
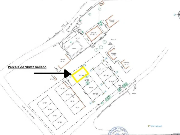
Excelente oportunidad a un buen precio, la parcela se encuentra ubicada en la codiciada zona de Cvoeta Fuma, Parque urbano Minerva, esta parcela de 90 m² ofrece una oportunidad única para disfrutar de la vida cerca del mar, la parcela es ideal para estacionar una autocaravana, brindando un espacio cómodo y seguro para aquellos que deseen disfrutar de la libertad y flexibilidad de este estilo de vida. Totalmente vallada, la parcela garantiza privacidad y seguridad, permitiéndote relajarte y disfrutar de tu entorno con total tranquilidad. La proximidad a la carretera nacional facilita el acceso, haciendo que los desplazamientos sean rápidos y sencillos. A solo unos minutos en coche, encontrarás una variedad de bares y restaurantes, perfectos para disfrutar de la gastronomía local y de momentos de ocio. Además, la playa cercana te permite disfrutar del mar y del sol mediterráneo en cualquier momento. Esta ubicación combina la tranquilidad de un entorno natural con la comodidad de estar cerca de servicios y entretenimiento. La Coveta Fumà es conocida por su ambiente residencial y su encanto, ofreciendo un lugar perfecto para establecer tu base mientras exploras la región o simplemente disfrutas de un retiro sereno. No pierdas esta oportunidad de adquirir una parcela en una de las zonas más atractivas de Coveta Fumà. Con su ubicación privilegiad, proximidad a la playa y servicios locales, esta parcela es ideal para aquellos que buscan un espacio versátil y bien ubicado para su autocaravana. Contáctanos ya para más detalles y para organizar una visita!

Property characteristics

Complex information

  • Property type
    Non-urbanizable

Property data

  • Property type
    Second hand

Surfaces

  • Land area
    90 m²

Base

  • Access type
    Urban access
  • Use of lot
    Residential

Facilities

Cultivation:

Fruit Trees

Market price statistics for Terreno en calle Urbanización Coveta Fuma-Minerva

Map

Alicante, El Campello, Spanish Town - Coveta Fumá, Calle Urbanización Coveta Fuma-Minerva Going to this location!
Leave a review about Terreno en calle Urbanización Coveta Fuma-Minerva
0
0 reviews
1
0% (0)
2
0% (0)
3
0% (0)
4
0% (0)
5
0% (0)
Costa Coveta
45 000 €
Contact advertiser

For more information contact the platform

REF: 162325

Reviews about Terreno en calle Urbanización Coveta Fuma-Minerva
Loading...

No reviews have been left for this object yet

Nearest properties

Explore nearby properties we've discovered in close proximity to this location

Terreno en Aigües

Alicante, Aigües
37 000 €

Este terreno rústico se encuentra en Parcela 66 polígono 3, 03569, Aigües, (Alic...

0
0 reviews

Terreno en Partida de Coca, 142

Alicante, El Campello, Campello Pueblo, Partida de Coca, 142
112 000 €

Terrero rústico con agua corriente. Tiene contador al día. Paraje muy tranquilo...

0
0 reviews

Terreno en plaza Polígono 3 Parcela 226 La Ballestera

Alicante, El Campello, Campello Pueblo, Plaza Polígono 3 Parcela 226 LA BALLESTERA
230 000 €

Descubre esta excepcional parcela rústica de 11,287 m², disponible para venta en...

0
0 reviews

Terreno en Busot

Alicante, Busot
210 000 €

Venta Terreno 69.632 m2 en Paraje la Gralla - junto CUEVAS CANELOBRE Dos Pozos d...

0
0 reviews

Terreno en calle Palmera

Alicante, Aigües
35 000 €

Te presentamos esta parcela rústica de 800 m², situada a pocos pasos del centro...

0
0 reviews

Terreno en calle de Benicarló, 33

Alicante, El Campello, Spanish Town - Coveta Fumá, Calle de Benicarló, 33
45 000 €

bonita parcela a 200m de la playa en la urbanizacion la coveta fuma, parque mine...

0
0 reviews

Terreno en Partida de buasa s/n

Alicante, El Campello, Campello Pueblo, Partida de buasa s/n
39 900 €

Se vende Suelo Rustico en el Campello, en La Ballestera, a solo 1 km del Mar, ex...

0
0 reviews

Terreno en cv-774

Alicante, Busot
43 000 €

terreno de 2.000 m2, parcela vallada con buen acceso, muy cerca al pueblo de bus...

0
0 reviews

Terreno en calle les Casetes

Alicante, Aigües
973 200 €

Suelo urbano no consolidado de 3563 m², de uso residencial, en venta en Aigües d...

0
0 reviews
Call

We use our own and third-party cookies to analyze website usage and show you advertisements related to your preferences based on a profile created from your browsing habits (e.g., pages visited). More information. Do you accept cookies?