Terreno en Montealto

Malaga, Benalmádena, Montealto, Montealto
225 000 €
Leave review
Urbanizable Property type
416 m² Land area
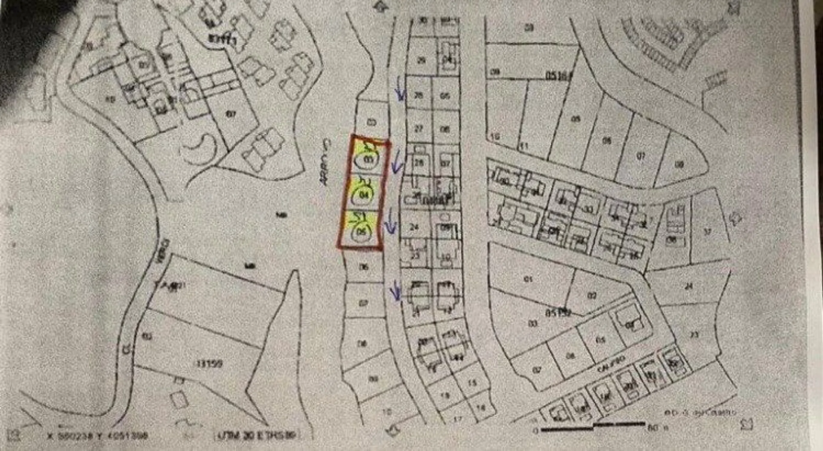
Se venden 3 magníficas parcelas en una nueva y bonita urbanización de chalets, Urbanización San Fernando (zona Xanit) dotada de zonas verdes, pistas y parque infantil, con preciosas vistas y con todas las comodidades a mano, a 6 minutos de la playa y del centro con fácil acceso a la autovía. Las parcelas tienen vistas laterales al mar. Las parcelas se pueden vender de forma individual o conjunta. Alto porcentaje de edificabilidad (30% y 40%) Ideal para inversión. constan de anteproyecto. Precio por debajo de precio de mercado según estudio realizado. Precios y metros de las parcelas: Calle Ícaro nº 13 son 400 m2 con un precio de 245.000 € Calle Ícaro nº 14 son 415 m2 con un precio de 235.000 m2 Calle Ícaro nº 15 son 447 m2 con un precio de 225.000 € En cumplimiento del decreto de la Junta de Andalucía 218/2005 del 11 de octubre, por el que se aprueba el reglamento de información al consumidor en la compraventa y arrendamiento de viviendas en Andalucía, se informa al cliente que tiene a su disposición el Documento Informativo Abreviado (D. I. A. ) en nuestras oficinas de Avenida Molière, 36 Local 2 de Málaga, CP29004. Además le informamos que no están incluidos en el precio, los gastos de notaría, registro, gestoría, ni el IVA del 21% +1,2% de AJD.

Property characteristics

Complex information

  • Property type
    Urbanizable

Property data

  • Property type
    Second hand

Surfaces

  • Land area
    416 m²

Base

Facilities

Additional Features:

Building plot

Market price statistics for Terreno en Montealto

Map

Malaga, Benalmádena, Montealto, Montealto Going to this location!
Leave a review about Terreno en Montealto
0
0 reviews
1
0% (0)
2
0% (0)
3
0% (0)
4
0% (0)
5
0% (0)
Kasamalaka Inmobiliaria
225 000 €
Contact advertiser

For more information contact the platform

REF: 366634

Reviews about Terreno en Montealto
Loading...

No reviews have been left for this object yet

Nearest properties

Explore nearby properties we've discovered in close proximity to this location

Terreno en venta en La Cala Golf - Lagar Martell

Malaga, Mijas, La Cala Golf - Lagar Martell
300 000 €

Oportunidad única en La Cala Golf: ¡Construya la casa de sus sueños en el paraís...

0
0 reviews

Terreno en Tn Ur-9

Malaga, Fuengirola, Torreblanca del Sol, TN UR-9
165 000 €

UBICACIÓN PRIVILEGIADA EN UNA ZONA TRANQUILA, PRIVADA Y EN PLENO DESARROLLO URBA...

0
0 reviews

Terreno en la alqueria

Malaga, Mijas, Mijas Village, La Alquería
162 000 €

¡ OPORTUNIDAD ÚNICA INVERSORES – VENTA URGENTE POR MOTIVOS DE SALUD ! EN VENTA:...

0
0 reviews

Terreno en calle Lima, 62

Malaga, Alhaurín de la Torre, Platero - The Lemon, Calle Lima, 62
185 000 €

Se ofrece solar urbano de 148 m² ideal para la construcción de vivienda unifamil...

0
0 reviews

Terreno en calle Algarrobo s/n

Malaga, Alhaurín de la Torre, Pines de Alhaurín, Calle Algarrobo s/n
10 000 €

Disponible suelo urbano de 25870m2 en Pinos de Alhaurín. UE PN-90, ordenanza apl...

0
0 reviews

Terreno en Pinos de Alhaurín

Malaga, Alhaurín de la Torre, Pines de Alhaurín, Pinos de Alhaurín
225 000 €

Si quieres iniciar ya la construcción de tu chalé independiente en Alhaurín de l...

0
0 reviews

Terreno en calle Robledo s/n

Malaga, Benalmádena, Torrequebrada, Calle Robledo s/n
450 000 €

¡Oportunidad única de adquirir un terreno en venta, ideal para construir la vill...

0
0 reviews

Terreno en avenida Rocas Blancas

Malaga, Benalmádena, Montealto, Avenida Rocas Blancas
895 000 €

Se presenta una oportunidad única para invertir en un terreno privilegiado en el...

0
0 reviews

Terreno en calle Rafael Quintana Rosado, 39

Malaga, Torremolinos, Center, Calle Rafael Quintana Rosado, 39
740 000 €

Se vende solar urbano en el centro de Torremolinos – Calle Rafael Quintana Rosad...

0
0 reviews

We use our own and third-party cookies to analyze website usage and show you advertisements related to your preferences based on a profile created from your browsing habits (e.g., pages visited). More information. Do you accept cookies?