Spain Urban Spain Urban Malaga Urban Torremolinos Terreno en calle Miami, 7

Terreno en calle Miami, 7

Malaga, Torremolinos, La Carihuela - The Nests, Calle Miami, 7
6 500 000 €
Leave review
Urban Property type
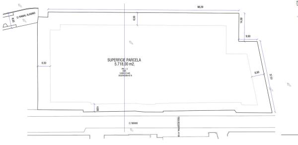
5 730 m² Land area
4 Buildable plots
5730 Buildability
¡Inversores y desarrolladores, atención! ¡Oportunidad única de adquirir un terreno premium! CON CALIFICACION SEGUN PGOU VIGENTE DE TORREMOLINOS COMO HOTELERO con hasta capacidad de distribuir en 75 habitaciones S trata de un solar de 5.713, 10 m² de parcela ubicado en un núcleo urbano, con todas las comodidades: agua, luz, alcantarillado, alumbrado público y aceras. para un proyecto hotelero, dado que su uso exclusivo es para fines hoteleros, con una ordenanza CJ-3 que permite una gran flexibilidad y maximiza la inversión. Este terreno tiene como objetivo una edificabilidad total de 5.680 m² de techo, con ocupación máxima del 0,45%, lo cual permite la construcción de hasta PB+3 plantas. En este terreno se podría edificar por ejemplo un imponente bloque que albergue 75 habitaciones con áreas comunes como recepción, hall y comedor, haciendo de este proyecto una inversión segura. También lógicamente se pueden ver otras propuesta acorde a la necesidad del propietario desarrollador. Además, podría proyectarse estudiar desarrollar 3 plantas sótano de 5.400 m² cada una, destinadas a garaje, proporcionando 500 plazas en total si se desea explotar garajes en rotación o residentes abonados. Aproveche esta oportunidad de invertir en un terreno urbano con características inigualables. No dude en contactarnos. ¡Infórmese sin compromiso.

Property characteristics

Complex information

  • Property type
    Urban

Property data

  • Property type
    Second hand

Surfaces

  • Land area
    5 730 m²

Base

  • Minimum sale plot
    5 730 m²
  • Buildable plots
    4
  • Buildability
    5730

Facilities

Supply:

Sewage System

Additional Features:

Building plot

In building:

Basement

Market price statistics for Terreno en calle Miami, 7

Map

Malaga, Torremolinos, La Carihuela - The Nests, Calle Miami, 7 Going to this location!
Leave a review about Terreno en calle Miami, 7
0
0 reviews
1
0% (0)
2
0% (0)
3
0% (0)
4
0% (0)
5
0% (1)
Grupo Inmobiliario Alosan
6 500 000 €
Contact advertiser

For more information contact the platform

REF: 366880

Reviews about Terreno en calle Miami, 7
Loading...
Raquel Añón
2025-11-07 21:17

El terreno no tiene la edificabilidad que dice. Se encuentra dentro de la Comunidad de Propietarios Carihuela Park. En el punto 6 de la división horizontal se prohíbe expresamente aumentar más del 10%  el volumen  construido en ese momento. Por lo tanto, se pueden construir unos 50 metros cuadrados

 

0
0
Answers (0)

Nearest properties

Explore nearby properties we've discovered in close proximity to this location

Terreno en venta en calle Navío

Malaga, Alhaurín de la Torre, Capellanía - Retamar, Calle Navío
185 000 €

INMEJORABLE UBICACIÓN en la zona urbana de Retamar en Alhaurin de la torre.Cerca...

0
0 reviews

Terreno en venta en calle Mioporo s/n

Malaga, Málaga, Churriana, Calle Mioporo s/n
590 000 €

En venta en Málaga: una excelente parcela residencial de 756 m2 ubicada en un tr...

0
0 reviews

Terreno en venta en calle Veleta s/n

Malaga, Benalmádena, Montealto, Calle Veleta s/n
3 000 000 €

Este terreno se encuentra en Calle Veleta, 29631, Benalmádena, Málaga. Es un sol...

0
0 reviews

Terreno en avenida Esmeralda, 14

Malaga, Benalmádena, Stream of Honey, Avenida Esmeralda, 14
420 000 €

SOLAR CON PROYECTO Y LICENCIA EN TRAMITE Si quieres construir tu casa a pocos me...

0
0 reviews

Terreno en calle Timón

Malaga, Alhaurín de la Torre, Capellanía - Retamar, Calle Timón
169 680 €

Costa del Sol Building vende parcela de 256 m2 en Urbanización Retamar. Ideal pa...

0
0 reviews

Terreno en calle Argelia, 20

Malaga, Málaga, Churriana, Calle Argelia, 20
200 000 €

Particular vende parcela llana de 351 m2 con licencia de obra en trámite. Operac...

0
0 reviews

Terreno en calle Pensamiento, 3

Malaga, Benalmádena, Benalmádena Village, Calle Pensamiento, 3
1 530 000 €

Oportunidad Exclusiva para Inversores en la Costa del Sol. Descubre una oportuni...

0
0 reviews

Terreno en pasaje General Duque de Aveiro, 7 -3

Malaga, Málaga, Churriana, Pasaje General Duque de Aveiro, 7 -3
350 000 €

¡Terreno urbano consolidado en venta en Churriana – Málaga! Ideal para construir...

0
0 reviews

Terreno en avenida Blas Infante

Malaga, Benalmádena, Stream of Honey, Avenida Blas Infante
1 500 000 €

Se vende solar urbanizable con excelente ubicación en el corazón de Arroyo de la...

0
0 reviews

We use our own and third-party cookies to analyze website usage and show you advertisements related to your preferences based on a profile created from your browsing habits (e.g., pages visited). More information. Do you accept cookies?