Terreno en calle Lantañon

Pontevedra, Meis, Calle Lantañon
65 000 €
Leave review
Urbanizable Property type
812 m² Land area
2 Buildable plots
812 m² Buildability
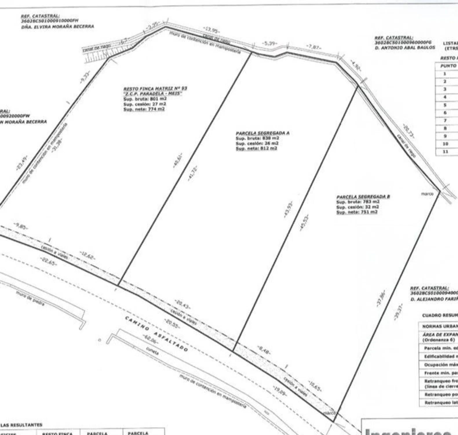
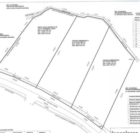
Descubre este impresionante terreno de 2.693 m², ideal para construir la casa de tus sueños. Con proyecto de segregacion de tres parcelas de 774 m², 812 m² y 751 m² con un precio de 65.000€ cada una, este espacio ofrece versatilidad para desarrollos residenciales unifamiliares. La ordenanza 6 permite edificaciones de hasta dos plantas y sótano, lo que brinda la oportunidad de diseñar un hogar a medida. Ubicado en una zona tranquila y natural, rodeado de viviendas habitadas todo el año, este terreno se convierte en el lugar perfecto para disfrutar de la paz y la serenidad, sin alejarse demasiado del núcleo urbano, que se encuentra a solo 5 km. Además, cuenta con acceso por carretera y servicios de luz, lo que facilita la construcción. ¡No dejes pasar esta oportunidad y ven a visitar tu futuro hogar.

Property characteristics

Complex information

  • Property type
    Urbanizable

Property data

  • Property type
    Second hand

Surfaces

  • Land area
    812 m²

Base

  • Minimum sale plot
    812 m²
  • Buildable plots
    2
  • Buildability
    812 m²

Facilities

In building:

Basement

Market price statistics for Terreno en calle Lantañon

Map

Pontevedra, Meis, Calle Lantañon Going to this location!
Leave a review about Terreno en calle Lantañon
0
0 reviews
1
0% (0)
2
0% (0)
3
0% (0)
4
0% (0)
5
0% (0)
INMOBILIARIA SALNES
65 000 €
Contact advertiser

For more information contact the platform

REF: 383214

Reviews about Terreno en calle Lantañon
Loading...

No reviews have been left for this object yet

Nearest properties

Explore nearby properties we've discovered in close proximity to this location

Terreno en Arcos Da Condesa s/n

Pontevedra, Caldas de Reis, ARCOS DA CONDESA s/n
200 000 €

Terreno edificable de 2500m, superficie mínima de para construir 800m, se pueden...

0
0 reviews

Terreno en Saiar s/n

Pontevedra, Caldas de Reis, Saiar s/n
40 000 €

Se vende finca edificable en Sayar (Caldas de Reis). Muy soleada.

0
0 reviews

Terreno en calle Pazo, km 0

Pontevedra, Caldas de Reis, Calle Pazo, km 0
215 000 €

Solar edificable a 500 m del Pazo de Rubianes. Parcelable (3 parcelas de 1200 m2...

0
0 reviews

Terreno en portas

Pontevedra, Portas, Portas
39 500 €

Osorio Inmobiliaria vende esta finca edificable, con 800 metros cuadrados de los...

0
0 reviews

Terreno en Portas

Pontevedra, Portas, Portas
58 000 €

Osorio Inmobiliaria vende esta finca edificable con 1400 metros cuadrados de los...

0
0 reviews

Terreno en Lugar Tarrio, 1

Pontevedra, Portas, Lugar Tarrio, 1
30 000 €

Parcela edificable, en un lugar estratégico cerca de Villagarcia, Caldas de Reis...

0
0 reviews

Terreno en lantaño

Pontevedra, Portas, Lantaño
26 000 €

Solar Urbano Núcleo Rural de 600 m2. En Lantaño, Portas. Cerca de Vilagarcía de...

0
0 reviews

Terreno en carretera Caldas - Vilanoviña (ep-8004), km 14

Pontevedra, Portas, Carretera Caldas - Vilanoviña (EP-8004), km 14
130 000 €

Terreno de 2.500m2 edificable en Lantaño, Ayuntamiento de Portas. Con salida dir...

0
0 reviews

Terreno en Lg Fontenla Cachadas-lantaño, 4

Pontevedra, Portas, LG FONTENLA CACHADAS-LANTAÑO, 4
35 000 €

En venta solar edificable con parcela de 502 metros cuadrados, con CERTIFICADO U...

0
0 reviews

We use our own and third-party cookies to analyze website usage and show you advertisements related to your preferences based on a profile created from your browsing habits (e.g., pages visited). More information. Do you accept cookies?