Terreno en Ventosa

La Corogne, Ames, Aire d'Ames, VENTOSA
65 000 €
Laisser un commentaire
Urbain Type de bien
1 500 m² Superficie du terrain
Oui Fourniture d'électricité
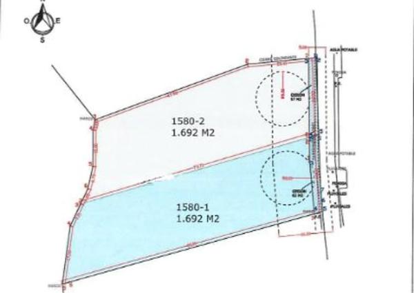
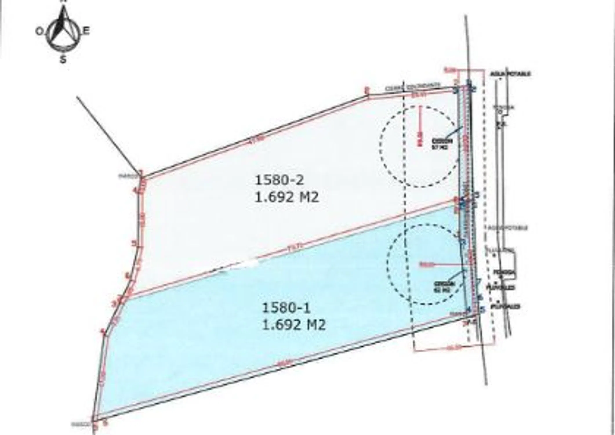
Se venden dos parcelas independientes o en una sola pieza. A unos 2,5 kilómetros de Roxos, en la zona de Ventosa, municipio de Ames. Cada parcela tiene una superficie de mil quinientos metros cuadrados. En la actualidad a nivel del Registro de la Propiedad, está inscrita como una sola parcela de tres mil metros cuadrados, aunque ya está concedida la licencia del Ayuntamiento de Ames la segregación de la misma en dos parcelas de 1.500 metros cuadrados cada una. No se inscribió la segregación de la parcela en el Registro de la propiedad por si surgiese un único cliente que quisiese adquirir el total de la parcela (los 3.000 m2). En el caso de que no fuese así, solamente quedaría el trámite de comunicarle al Registro de la Propiedad, la segregación de la parcela en dos (según licencia concedida) y el trámite de inscripción demoraría aproximadamente un mes y medio. El precio de cada parcela de 1.500 m2, sería de 65.000 euros y el precio total de 3.000 m2 sería de 130.000 euros. La parcela disfruta de las instalaciones de alcantarillado, el servicio de agua municipal y electricidad, justo delante de la parcela. Debido a la orientación de la parcela, es muy soleada y despejada. En el caso de querer visitar dicha parcela o tener más información: Somos Agencia Inmobiliaria Amor. En Calle Hórreo nº 60 – 1º Piso – Santiago de Compostela. Teléfono dpto. ventas: Correo electrónico: Nota: este anuncio no es vinculante, puede contener errores, se muestra a título informativo y no contractual.

Caractéristiques du bien

Complex information

  • Type de bien
    Urbain

Données de la propriété

  • Type de propriété
    Occasion

Surfaces

  • Superficie du terrain
    1 500 m²

Base

  • Fourniture d'électricité
    Oui

Installations

Approvisionnement:

Assainissement

Statistiques des prix du marché pour Terreno en Ventosa

Carte

La Corogne, Ames, Aire d'Ames, VENTOSA Aller à cet endroit
Laisser un commentaire sur Terreno en Ventosa
0
0 revues
1
0% (0)
2
0% (0)
3
0% (0)
4
0% (0)
5
0% (0)
Agencia Amor
65 000 €
Contacter l'annonceur

Pour plus d’informations, contactez la plateforme

REF: 346475

Critiques à propos de Terreno en Ventosa
Loading...

No reviews have been left for this object yet

Propriétés les plus proches

Explorez les biens immobiliers que nous avons découverts à proximité de ce site

Terreno en Campus sur - Santa Marta

La Corogne, Santiago de Compostela, Campus sur - Santa Marta, Campus sur - Santa Marta
27 000 €

Se vende este terreno de suelo urbano de 505m2 en Vilaño, a 2km de A Laracha, cu...

0
0 commentaires

Terreno en Lugar Brans de Abaixo, km 1

La Corogne, Brion
46 000 €

Finca urbana en Brión, en Brans de Abaixo. Moi luminosa, 925 metros cadrados. Mo...

0
0 commentaires

Terreno en Aldea Casanova s/n CasanovaAmes

La Corogne, Ames, O Milladoiro, Aldea Casanova s/n CasanovaAmes
86 000 €

Precioso terreno urbanizable en Raíces. Situado en una zona muy tranquila con ca...

0
0 commentaires

Terreno en Aldea Lombao

La Corogne, Ames, Aire d'Ames, Aldea Lombao
90 000 €

Se vende terreno edificable en una zona residencial y tranquila de la localidad...

0
0 commentaires

Terreno en Pedrido, 14

La Corogne, Santiago de Compostela, Campus sur - Santa Marta, Pedrido, 14
69 000 €

FINCA URBANA EN PEDRIDO - ROXOS Finca urbana en Pedrido a escasos minutos del ce...

0
0 commentaires

Terreno en Aldea Mercuto, 19

La Corogne, Ames, Aire d'Ames, Aldea Mercuto, 19
45 000 €

SUELO EDIFICABLE EN ZONA AMEIXENDA - AMES Se vende suelo edificableen carretera...

0
0 commentaires

Terreno en avenida de Santa Minia s/n

La Corogne, Brion
303 000 €

Solar en Brión (A Coruña). Cuenta con una superficie de 2.912 m², dispone de pro...

0
0 commentaires

Terreno en calle Magdalena

La Corogne, Ames, O Milladoiro, Calle Magdalena
390 000 €

Excelente suelo urbano en Milladoiro, Se trata de una parcela con excelentes vis...

0
0 commentaires

Terreno en Aldea Cantalarrana, 11

La Corogne, Ames, Bertamirans, Aldea Cantalarrana, 11
120 000 €

Finca de 965 m2 con edificabilidad para una vivienda, situada en la zona de Cant...

0
0 commentaires

Nous utilisons nos propres cookies et ceux de tiers pour analyser l’utilisation du site Web et vous montrer des publicités en lien avec vos préférences, sur la base d’un profil établi à partir de vos habitudes de navigation (ex. : pages visitées). Plus d’informations. Acceptez-vous les cookies ?