Terreno en Aviguda Montsey

Barcelone, Sant Esteve Sesrovires, Aviguda Montsey
93 000 €
Laisser un commentaire
Urbain Type de bien
314 m² Superficie du terrain
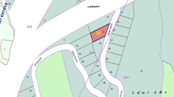
Se trata de un suelo en la Urbanización Masía Bach, en el municipio de Sant Eteve Sesrovires, en la provincia de Barcelona. Se trata de un suelo urbano de uso residencial pegado a los campos de Golf de Club de Golf de Barcelona, Dispone de una superficie de 314 m². La topografía natural del terreno es llana, con fachada a una calles y vista al campo de Golf. Se trata un terreno urbano consolidado La caracterización urbana, es que se trata de una zona con desarrollo finalizado, con una consolidación de nivel medio alto. Existe pavimentación, alcantarillado, suministro de agua, suministro de luz, existe suministro de gas por red general, dispone de postes de servicio telefónico, alumbrado público, la conservación de la calidad de las infraestructuras colindantes es de nivel medio. El suelo está comunicado, mediante el acceso viario B-224z a pocos minutos. La zona dispone de equipamiento campo de golf, colegio y parques. Con nuestros servicios podrá conocer las posibilidades reales de este suelo y valorar sus posibilidades de inversión. Empiece ahora mismo pidiendo más información. Un responsable cercano a usted le atenderá personalmente. - El inmueble se encuentra gravado con una o varias cargas, la/s cual/es se encuentra/n pendiente/s de su cancelación. Se debe consultar su situación actual, así como sus posibles limitaciones y la asunción de su cancelación. Se recomienda que el comprador obtenga asesoramiento profesional y legal antes de adoptar la decisión de compra.

Caractéristiques du bien

Complex information

  • Type de bien
    Urbain

Données de la propriété

  • Type de propriété
    Occasion

Surfaces

  • Superficie du terrain
    314 m²

Base

  • Terrain urbain
    Consolidé (Terrain)

Installations

Approvisionnement:

Assainissement

Statistiques des prix du marché pour Terreno en Aviguda Montsey

Carte

Barcelone, Sant Esteve Sesrovires, Aviguda Montsey Aller à cet endroit
Laisser un commentaire sur Terreno en Aviguda Montsey
0
0 revues
1
0% (0)
2
0% (0)
3
0% (0)
4
0% (0)
5
0% (0)
Solvia inmuebles HRE CES
93 000 €
Contacter l'annonceur

Pour plus d’informations, contactez la plateforme

REF: 373530

Critiques à propos de Terreno en Aviguda Montsey
Loading...

No reviews have been left for this object yet

Propriétés les plus proches

Explorez les biens immobiliers que nous avons découverts à proximité de ce site

Terreno en venta en Sant esteve Sesrovires

Barcelone, Sant Esteve Sesrovires
169 000 €

Suelo urbano consolidado de 1.124m2 en Sant Esteve de Sesrovira, dentro del sect...

0
0 commentaires

2 TERRENOS COLINDANTES (2124m2) EN LA URBANIZACIÓN CAMPARELLADA

Barcelone, Masquefa
95 000 €

¡Gran oportunidad de inversión! Se venden dos terrenos colindantes en la prestig...

0
0 commentaires

GRAN TERRENO EDIFICABLE EN URBANIZACION CAMPARELLADA

Barcelone, Masquefa
77 000 €

¡Increíble oportunidad! Se vende terreno de 1355m2 en la Urbanización Camparella...

0
0 commentaires

¡OPORTUNIDAD! TERRENO URBANO EN URBANIZACION CAMPARELLADA

Barcelone, Masquefa
29 000 €

¡Oportunidad única! Se vende terreno con pendiente en la hermosa urbanización Ca...

0
0 commentaires

Terreno en avenida del Riu, 20

Barcelone, Saint-Laurent d'Hortons, Avenida del Riu, 20
70 000 €

¡Oportunidad única! Me complace presentarles una oportunidad inmobiliaria excepc...

0
0 commentaires

Terreno en carretera Corbera

Barcelone, Gelida, Carretera Corbera
145 000 €

¡Este impresionante adosado se encuentra ubicado en Martorell! Esta propiedad of...

0
0 commentaires

Terreno en Urbanització Sant Salvador

Barcelone, Gelida, Urbanització Sant Salvador
459 000 €

Suelo - Gelida, Urbanización San Salvador-.

0
0 commentaires

Terreno en Urbanització Sant Salvador

Barcelone, Gelida, Urbanització Sant Salvador
459 000 €

Suelo - Gelida, Urbanización San Salvador-.

0
0 commentaires

Terreno en calle Lluís Companys

Barcelone, Saint-Laurent d'Hortons, Calle Lluís Companys
75 000 €

FINQUES PARDAS: Este solar en venta está situado en Sant Llorenç d'Hortons y cue...

0
0 commentaires

Nous utilisons nos propres cookies et ceux de tiers pour analyser l’utilisation du site Web et vous montrer des publicités en lien avec vos préférences, sur la base d’un profil établi à partir de vos habitudes de navigation (ex. : pages visitées). Plus d’informations. Acceptez-vous les cookies ?