Espagne Urbanisable Espagne Urbanisable Madrid Urbanisable San Fernando de Henares Terreno en poligono p. rep ua-2 pque.tec.sec.5, 22

Terreno en poligono p. rep ua-2 pque.tec.sec.5, 22

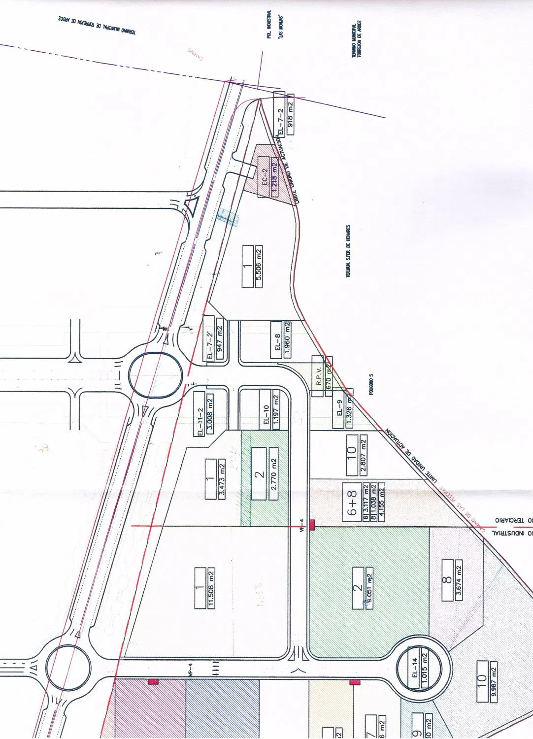
Madrid, San Fernando de Henares, Montserrat - Parc d'Activités, Poligono p. rep ua-2 pque.tec.sec.5, 22
450 000 €
Laisser un commentaire
Urbanisable Type de bien
1 213 m² Superficie du terrain
1 088 m² Constructibilité
Parcela Industrial de suelo Urbanizable de uso terciario, con perfecta Ubicación de esquina a tres calles, Avda. de Astronomía con Calle Albert Camus y Calle Otoño. Ideal para gasolinera, pequeño supermercado, Burger, Restaurante, Hotel…. Precio a consultar! Vendedor particular.

Caractéristiques du bien

Complex information

  • Type de bien
    Urbanisable

Données de la propriété

  • Type de propriété
    Occasion

Surfaces

  • Superficie du terrain
    1 213 m²

Base

  • Parcelle minimale à vendre
    1 213 m²
  • Constructibilité
    1 088 m²

Statistiques des prix du marché pour Terreno en poligono p. rep ua-2 pque.tec.sec.5, 22

Carte

Madrid, San Fernando de Henares, Montserrat - Parc d'Activités, Poligono p. rep ua-2 pque.tec.sec.5, 22 Aller à cet endroit
Laisser un commentaire sur Terreno en poligono p. rep ua-2 pque.tec.sec.5, 22
0
0 revues
1
0% (0)
2
0% (0)
3
0% (0)
4
0% (0)
5
0% (0)
VIVANTIAL
450 000 €
Contacter l'annonceur

Pour plus d’informations, contactez la plateforme

REF: 369098

Critiques à propos de Terreno en poligono p. rep ua-2 pque.tec.sec.5, 22
Loading...

No reviews have been left for this object yet

Propriétés les plus proches

Explorez les biens immobiliers que nous avons découverts à proximité de ce site

Terreno en venta en Coslada de 216 m2

Madrid, Coslada
331 000 €

AKRIS INMOBILIARIA VENDE: Parcela de suelo urbano, con una superficie de 216 m²...

0
0 commentaires

Terreno en Montserrat - Parque Empresarial

Madrid, San Fernando de Henares, Montserrat - Parc d'Activités, Montserrat - Parque Empresarial
4 100 000 €

UBICACIÓN: Solar situado en el polígono industrial de San Fernando de Henares, M...

0
0 commentaires

Terreno en calle Mayor, 4

Madrid, Mejorada del Campo, Calle Mayor, 4
145 000 €

� SE VENDE TERRENO URBANO – MEJORADA DEL CAMPO �️ Tecnocasa Mejorada del Campo o...

0
0 commentaires

Terreno en calle Sector El Angelillo

Madrid, Mejorada del Campo, Calle SECTOR EL ANGELILLO
236 000 €

¡Terreno a la vista, inversión a la vuelta de la esquina! En Metro-Cuadrado te t...

0
0 commentaires

Terreno en Noroeste

Madrid, Torrejón de Ardoz, Nord-ouest, Noroeste
340 000 €

VOhome Torrejón de Ardoz comercializa en exclusiva estupenda parcela en pleno ce...

0
0 commentaires

Terreno en calle Santa Rosa, 5

Madrid, Mejorada del Campo, Calle Santa Rosa, 5
265 000 €

Terreno urbano no consolidado. La parcela se encuentra en el núcleo urbano de Me...

0
0 commentaires

Terreno en calle del Valle de la Pinilla

Madrid, Torrejón de Ardoz, Sud-Ouest, Calle del Valle de la Pinilla
230 000 €

Terreno urbano en venta en Torrejón de Ardoz – Ubicación estratégica con alto po...

0
0 commentaires

Terreno en Noreste

Madrid, Torrejón de Ardoz, Noreste, Noreste
640 000 €

Agencia inmobiliaria de TORREJÓN DE ARDOZ - zona BARRIO VERDE - PLAZA DE LA HABA...

0
0 commentaires

Terreno en Montserrat - Parque Empresarial

Madrid, San Fernando de Henares, Montserrat - Parc d'Activités, Montserrat - Parque Empresarial
3 050 000 €

Solar industrial de 8.700 m² en venta en San Fernando de Henares, una ubicación...

0
0 commentaires
Appeler

Nous utilisons nos propres cookies et ceux de tiers pour analyser l’utilisation du site Web et vous montrer des publicités en lien avec vos préférences, sur la base d’un profil établi à partir de vos habitudes de navigation (ex. : pages visitées). Plus d’informations. Acceptez-vous les cookies ?