Terreno en calle La Paloma, 10

Madryt, Hoyo de Manzanares, Calle La Paloma, 10
600 000 €
Zostaw recenzję
Miejski Rodzaj rynku
339 m² Powierzchnia działki
3 Działki budowlane
750 m² Zabudowa
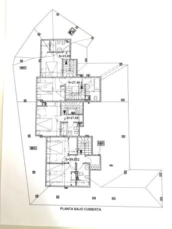
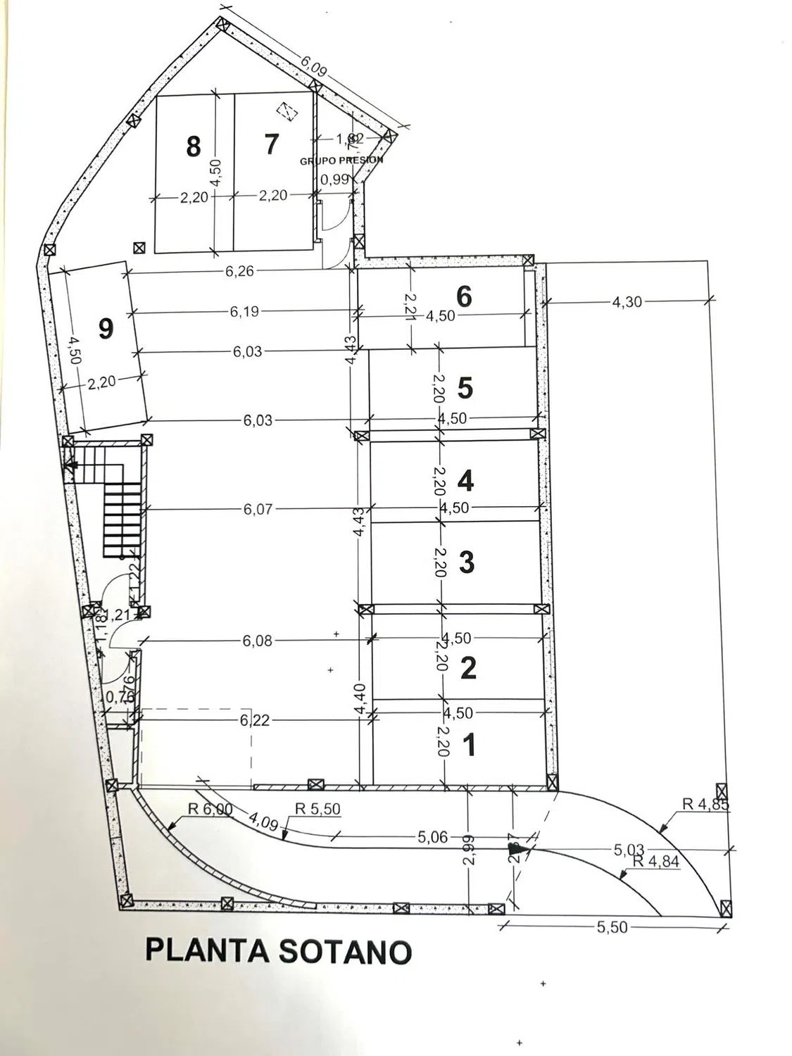
Idehogar vende terreno en el núcleo urbano de hoyo de manzanares para la construcción de varias viviendas con una superficie de 338.98 y una edificabilidad total de 749.87, ideal para promotor o auto construcción de una gran vivienda en el centro de Hoyo de Manzanares. NORMATIVA Manzana Cerrada EDIFICABILIDAD 16m. de fondo x perímetro de fachada para uso de vivienda. 25m. de fondo x perímetro de fachada para uso de local comercial. Se puede edificar en la servidumbre de paso con el aprovechamiento de bajo cubierta. Dotación mínima de 1 plaza de garaje por vivienda. ALTURAS Baja + primero + bajo cubierta. Altura de cornisa 7m. Altura de pisos mínimo 2.5m máximo, máximo 4.5m APROVECHAMIENTO BAJO CUBIERTA Inclinación máxima de la cubierta 45º Altura < 15m. no computa la superficie. Espacios vivideros, serán > de 6m2 GARAJE Anchura de calle para vehiculos mínima de 6m. Dimensiones mínimas de plaza de parking 2.20m x 4.50m. APLICACIÓN DE LA NORMATIVA A LA PARCELA PARA MÁXIMA EDIFICABILIDAD EDIFICABILIDAD Superficie del solar 338.98m2 Superficie a descontar trazando paralelas de 16m. desde fachadas 2.20m2 Edificabilidad sería)2=673.56m2. Servidumbre de paso sería (4.63+4.30) dividido por 2 y por la longitud 17.09 daría una superficie de 76.31m2 SUPERFICIE EDIFICABLE TOTAL 749.87m2 Los planos que se ponen el anuncio son solo una idea de un tipo de construcción que se podría ejecutar.

Charakterystyka nieruchomości

Complex information

  • Rodzaj rynku
    Miejski

Dane nieruchomości

  • Rodzaj nieruchomości
    Z drugiej ręki

Powierzchnie

  • Powierzchnia działki
    339 m²

Base

  • Minimalna działka na sprzedaż
    339 m²
  • Działki budowlane
    3
  • Zabudowa
    750 m²

Statystyki cen rynkowych dla Terreno en calle La Paloma, 10

Mapa

Madryt, Hoyo de Manzanares, Calle La Paloma, 10 Iść do tego miejsca
Zostaw opinię o Terreno en calle La Paloma, 10
0
0 recenzje
1
0% (0)
2
0% (0)
3
0% (0)
4
0% (0)
5
0% (0)
Idehogar
600 000 €
Kontakt z reklamodawcą

Aby uzyskać więcej informacji, skontaktuj się z platformą

REF: 369933

Opinie o Terreno en calle La Paloma, 10
Loading...

No reviews have been left for this object yet

Najbliższe nieruchomości

Poznaj pobliskie nieruchomości, które znaleźliśmy w pobliżu tej lokalizacji

Terreno en calle Cerros de Navalcon, 84

Madryt, Collado Villalba, Fontenebro - Altavista, Calle Cerros de Navalcon, 84
410 000 €

Excepcional parcela para vivienda unifamiliar en la mejor urbanización de la sie...

0
0 recenzji

Terreno en calle de la Oca, 76

Madryt, Collado Villalba, Fontenebro - Altavista, Calle de la Oca, 76
173 000 €

**Te ayudamos a conseguir tu préstamo hipotecario para la compra del terreno de...

0
0 recenzji

Terreno en Fontenebro - Altavista

Madryt, Collado Villalba, Fontenebro - Altavista, Fontenebro - Altavista
360 000 €

Terreno urbano en Dominio de Fontenebro Excelente oportunidad para adquirir una...

0
0 recenzji

Terreno en calle de la Paloma, 99

Madryt, Collado Villalba, Fontenebro - Altavista, Calle de la Paloma, 99
210 000 €

Estupenda parcela en venta a la entrada de la urbanización Altavista en Collado...

0
0 recenzji

Terreno en Portillo de la Mina

Madryt, Collado Villalba, Fontenebro - Altavista, Portillo de la Mina
485 000 €

Este lujoso solar urbano se encuentra ubicado en Collado Villalba Urbanización A...

0
0 recenzji

Terreno en Fontenebro - Altavista

Madryt, Collado Villalba, Fontenebro - Altavista, Fontenebro - Altavista
425 000 €

¡Oportunidad única! Gilmar pone a la venta una parcela de ensueño en la mejor ur...

0
0 recenzji

Terreno en Fontenebro - Altavista

Madryt, Collado Villalba, Fontenebro - Altavista, Fontenebro - Altavista
550 000 €

GILMAR CONSULTING INMOBILIARIO te ofrece esta oportunidad única en la mejor zona...

0
0 recenzji

Terreno en Fontenebro - Altavista

Madryt, Collado Villalba, Fontenebro - Altavista, Fontenebro - Altavista
380 000 €

¡Oportunidad única! Gilmar pone a la venta una parcela de ensueño en la mejor ur...

0
0 recenzji

Terreno en calle Prados del Arroyo, 156

Madryt, Collado Villalba, Fontenebro - Altavista, Calle Prados del Arroyo, 156
425 000 €

Bonita parcela en Urbanización Fontenebro. Increibles vistas de la Sierra de Gua...

0
0 recenzji

Używamy własnych plików cookie oraz plików cookie stron trzecich do analizy korzystania z witryny i wyświetlania reklam dopasowanych do Twoich preferencji, na podstawie profilu utworzonego na podstawie Twoich nawyków przeglądania (np. odwiedzonych stron). Więcej informacji. Czy akceptujesz pliki cookie?