Spain Urbanizable Spain Urbanizable Malaga Urbanizable Almogía Terreno en avenida Juan Carlos i Rey de España

Terreno en avenida Juan Carlos i Rey de España

Malaga, Almogía, Avenida Juan Carlos I Rey de España
213 700 €
Leave review
Urbanizable Property type
6 997 m² Land area
Zoned Developable land
Residential Use of lot
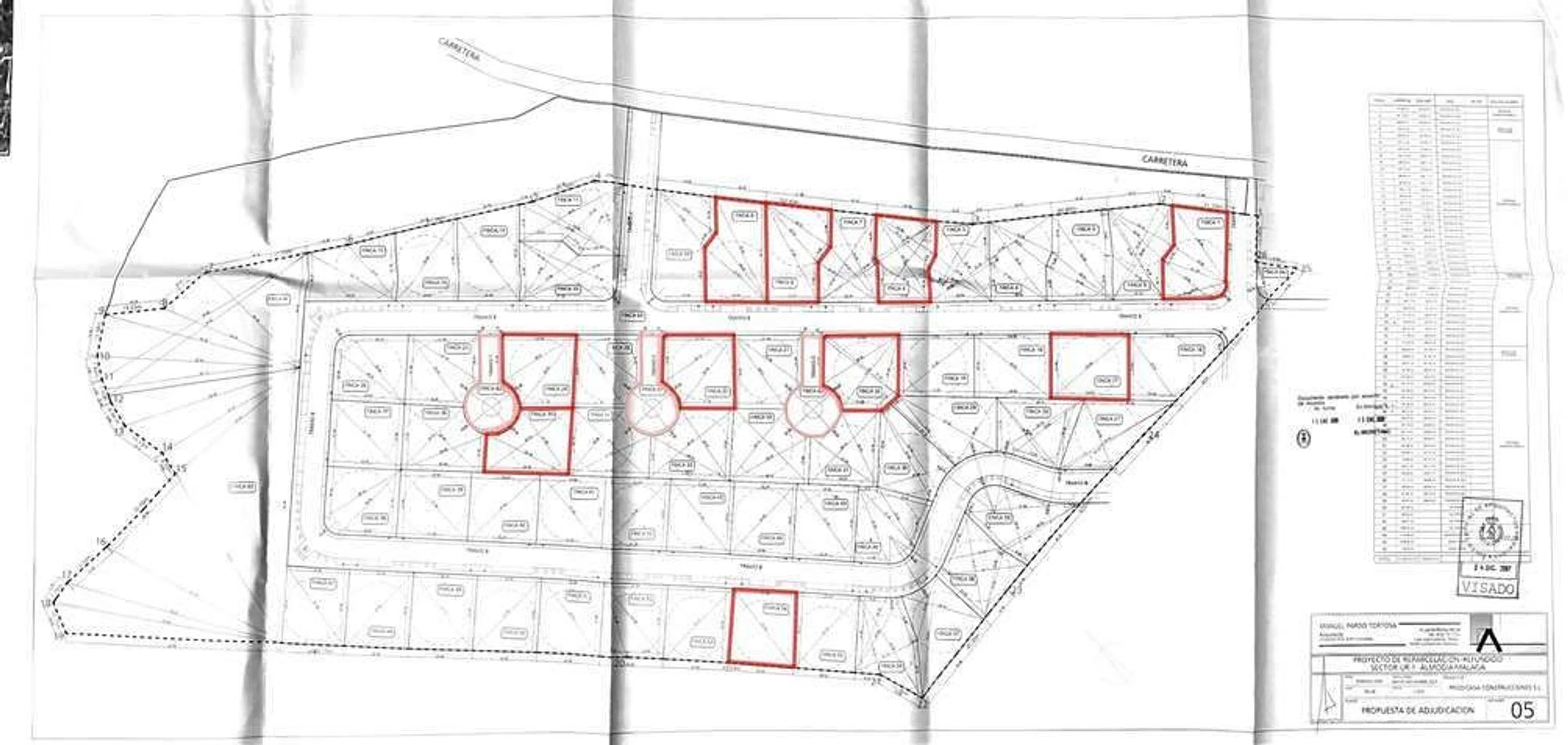
Suelo urbanizable en Almogía, provincia de Málaga. Fincas resultantes de suelo urbanizable (hoy suelo rústico con ATU delimitada) de uso residencial para viviendas unifamiliares aisladas, situadas a las afueras de Almogía, pendientes de urbanización. Participación no mayoritaria (19 ). Sector ordenado por Plan Parcial, con fincas resultantes inscritas y Proyecto de Urbanización aprobado en 2007, que deberá ser actualizado. Cuatro de las fincas tienen una participación en tres viales privados de la urbanización, vinculados ob rem. Se localizan próximo al Campo Municipal Manuel Sáchez Ruiz, con buenos accesos mediante la carretera MA-3403. En un entorno cercano dispone de equipamientos variados, restaurantes, supermercados, centros deportivos, etc. Con nuestros servicios podrá conocer las posibilidades reales de este solar y valorar sus posibilidades de inversión. Empiece ahora mismo pidiendo más información. Un responsable cercano a usted le atenderá personalmente.

Property characteristics

Complex information

  • Property type
    Urbanizable

Property data

  • Property type
    Second hand

Surfaces

  • Land area
    6 997 m²

Base

  • Non-developable land
    Rustic or Rural
  • Developable land
    Zoned
  • Use of lot
    Residential

Facilities

Land use:

Residential

Plans

Market price statistics for Terreno en avenida Juan Carlos i Rey de España

Map

Malaga, Almogía, Avenida Juan Carlos I Rey de España Going to this location!
Leave a review about Terreno en avenida Juan Carlos i Rey de España
0
0 reviews
1
0% (0)
2
0% (0)
3
0% (0)
4
0% (0)
5
0% (0)
Solvia inmuebles HRE CES
213 700 €
Contact advertiser

For more information contact the platform

REF: 242435

Reviews about Terreno en avenida Juan Carlos i Rey de España
Loading...

No reviews have been left for this object yet

Nearest properties

Explore nearby properties we've discovered in close proximity to this location

Terreno en avenida Juan Carlos i Rey de España

Malaga, Almogía, Avenida Juan Carlos I Rey de España
213 700 €

Suelo urbanizable en Almogía, provincia de Málaga. Fincas resultantes de suelo u...

0
0 reviews

Terreno en Lugar Arroyo Coche

Malaga, Almogía, LUGAR ARROYO COCHE
100 000 €

REDPISO vende en exclusiva un FANTÁSTICO TERRENO CON LUZ Y AGUA, ideal para cons...

0
0 reviews

Terreno en Diseminado Diseminados

Malaga, Almogía, Diseminado Diseminados
90 000 €

¡Increíble oportunidad! Esta encantadora propiedad se encuentra a solo 8 km del...

0
0 reviews

Terreno en Vía

Malaga, Almogía, Vía
75 000 €

Estupenda Parcela de 25.142m2 según nota simple en Almogía de regadío distribuid...

0
0 reviews

Terreno en Paraje casa blanca, 19 Parcela

Malaga, Almogía, Paraje casa blanca, 19 Parcela
100 000 €

Terreno muy cercano a Puerto de la Torre. Inmediatamente después de atravesar el...

0
0 reviews

Terreno en calle arrabal del castillo, 1

Malaga, Almogía, Calle arrabal del castillo, 1
35 000 €

Solar en el castillo urbanizable en muy buena zona todo al corriente y escritura...

0
0 reviews

We use our own and third-party cookies to analyze website usage and show you advertisements related to your preferences based on a profile created from your browsing habits (e.g., pages visited). More information. Do you accept cookies?