Terreno en calle Agua

Мадрид, Позуэло-де-Аларкон, Зона Пueblo, Calle Agua
1 730 000 €
Оставить отзыв
Урбанизируемый Тип недвижимости
4 208 m² Площадь участка
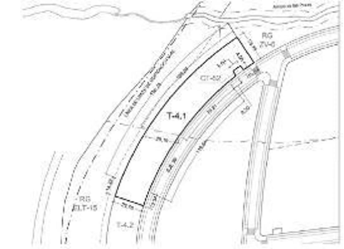
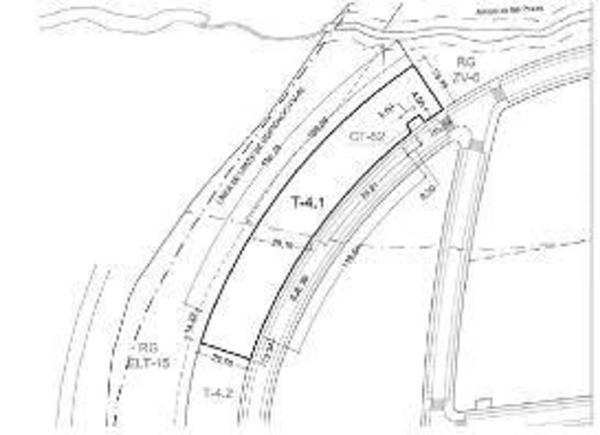
Suelo en gestión (No finalista terciario uso oficinas), con el proyecto de Urbanización aprobado, que es una excelente oportunidad para inversores o empresas que quieran situar su edificio de oficinas en uno de los desarrollos más importantes de la Comunidad de Madrid, concretamente en Pozuelo de Alarcón (ARPO) Con una superficie de 4.208, 2m² y una edificabilidad de 3.450, 72m². Proyecto de reparcelación y urbanización aprobado. Afectada por Zona de Policía del Arroyo de las Pozas, consistente en franja de 100 m paralela al borde Dominio Público Hidráulico. Cuenta con una situación privilegiada, con muchísima visibilidad y excelentes conexiones a la M40 (Km. 41) y M-503. No tiene uso residencial ni es compatible. PRECIO NEGOCIABLE. EL PRECIO NO INCLUYE IMPUESTOS.

Характеристики недвижимости

Complex information

  • Тип недвижимости
    Урбанизируемый

Данные о недвижимости

  • Тип недвижимости
    Вторичка

Площади

  • Площадь участка
    4 208 m²

Base

Статистика рыночных цен на Terreno en calle Agua

Карта

Мадрид, Позуэло-де-Аларкон, Зона Пueblo, Calle Agua Поехать в это место
Оставьте отзыв о Terreno en calle Agua
0
0 reviews
1
0% (0)
2
0% (0)
3
0% (0)
4
0% (0)
5
0% (0)
Grupo Coves
1 730 000 €
Свяжитесь с рекламодателем

Для получения дополнительной информации свяжитесь с платформой

REF: 370099

Отзывы о Terreno en calle Agua
Loading...

No reviews have been left for this object yet

Ближайшие объекты

Исследуйте близлежащие объекты, которые мы обнаружили неподалеку от этого местоположения.

Terreno en venta en Poligono Diez

Мадрид, Позуэло-де-Аларкон, АРПО, Poligono Diez
1 730 000 €

Este terreno se encuentra en ARPO Sector UZ 2.4-03 Parc. T-4.1, 0 Pozuelo de Ala...

0
0 отзывов

Terreno en Barrio Aluche

Мадрид, Мадрид, Латина, Barrio Aluche
1 400 000 €

Oportunidad de compra de una parcela de 839m2 en Madrid, fachada a la Carretera...

0
0 отзывов

Terreno en Barrio Aravaca

Мадрид, Мадрид, Мондлоа, Barrio Aravaca
2 800 000 €

^**^LA JOYA DE MONCLOA: TERRENO EXCLUSIVO DE CASI 3.600M2 EN LA CAPITAL^**^ En e...

0
0 отзывов

Terreno en Valdecabañas

Мадрид, Боадилья дель Монте, Вальдекабальяс, Valdecabañas
1 195 000 €

Terreno en una ubicación inmejorable dentro de la Urbanización Valdecabañas. Cer...

0
0 отзывов

Terreno en calle Amblés

Мадрид, Боадилья дель Монте, Лас Ломас, Calle Amblés
1 240 000 €

Crownston presenta una exclusiva oportunidad en el corazón de Boadilla del Monte...

0
0 отзывов

Terreno en Urb. este - Montepríncipe

Мадрид, Боадилья дель Монте, Урб. естэ - Монтепринсипе, Urb. este - Montepríncipe
1 500 000 €

Parcela en venta en Montepríncipe Engel & Völkers presenta esta exclusiva parcel...

0
0 отзывов

Terreno en Urb. este - Montepríncipe

Мадрид, Боадилья дель Монте, Урб. естэ - Монтепринсипе, Urb. este - Montepríncipe
1 500 000 €

Parcela en venta en Montepríncipe Engel & Völkers presenta esta exclusiva parcel...

0
0 отзывов

Terreno en Valdepastores - Las Encinas

Мадрид, Боадилья дель Монте, Вальдепасторес - Лас Энсинас, Valdepastores - Las Encinas
1 425 000 €

Look and Find Boadilla / Villaviciosa, vende en Exclusiva, PARCELA de 3.270m2, C...

0
0 отзывов

Terreno en prado del espino, 1

Мадрид, Боадилья дель Монте, Урб. естэ - Монтепринсипе, Prado del espino, 1
1 300 000 €

Terreno en Boadilla del monte dentro de la nueva ampliación del Parque Empresari...

0
0 отзывов
Звонок

Мы используем собственные и сторонние файлы cookie для анализа использования веб-сайта и показа вам рекламы, соответствующей вашим предпочтениям, на основе профиля, созданного по вашим привычкам просмотра (например, посещенные страницы). Подробнее. Вы принимаете файлы cookie?