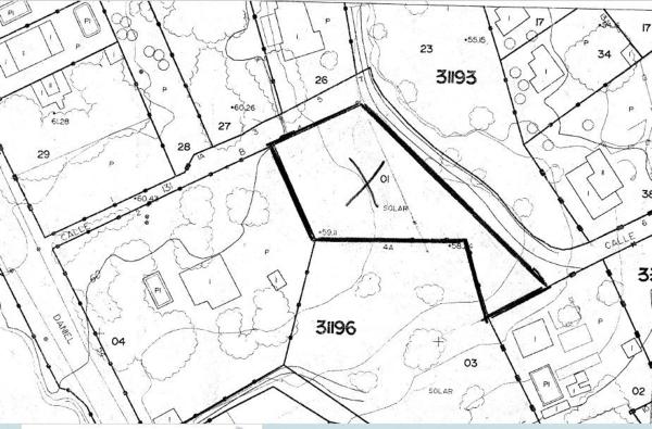
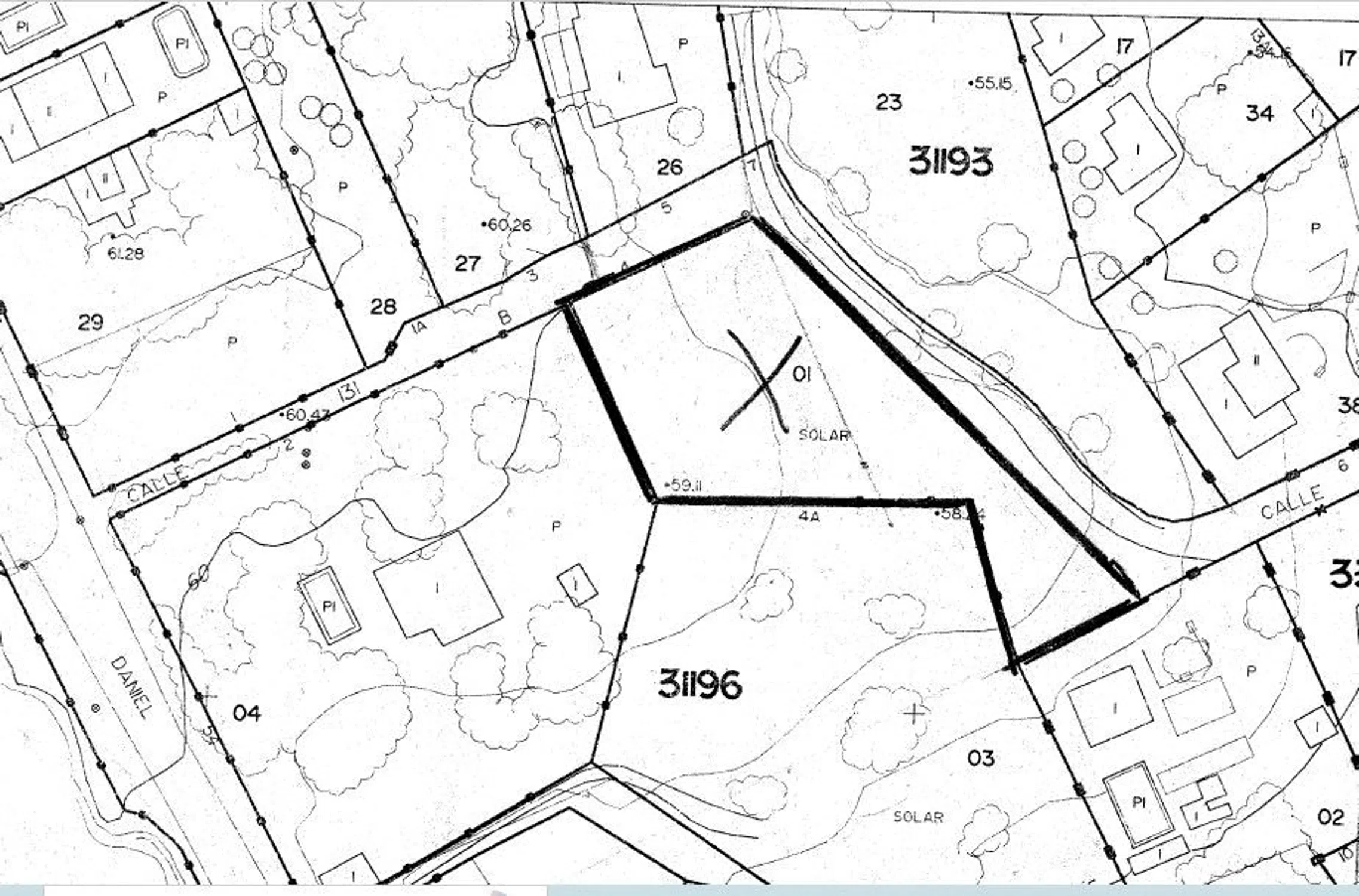
Terreno en calle 131 b s/n

Валенсия, Монкада, Calle 131 B s/n
270 000 €
Оставить отзыв
Урбанизируемый Тип недвижимости
1 850 m² Площадь участка
2 Строительные участки
925 m² Застройка
Parcela de 1850 m2 totalmente vallada y con portalón de acceso. Se trata de suelo urbanizable incluido en el PRI de Masías con ficha de gestion UE-M. 1 consultable desde la web del Ayuntamiento de Moncada. Aunque es urbano, no se puede edificar hasta qeue el plan de unbanizacion (calles, aceras, parques, alcantarillado, etc) esté ejecutado. No hay fecha prevista para dicha ejecución.

Характеристики недвижимости

Complex information

  • Тип недвижимости
    Урбанизируемый

Данные о недвижимости

  • Тип недвижимости
    Вторичка

Площади

  • Площадь участка
    1 850 m²

Base

  • Минимальный участок для продажи
    1 850 m²
  • Строительные участки
    2
  • Застройка
    925 m²

Удобства

Суминстро:

Канализация

Статистика рыночных цен на Terreno en calle 131 b s/n

Карта

Валенсия, Монкада, Calle 131 B s/n Поехать в это место
Оставьте отзыв о Terreno en calle 131 b s/n
0
0 reviews
1
0% (0)
2
0% (0)
3
0% (0)
4
0% (0)
5
0% (0)
MARIANO GÓMEZ
270 000 €
Свяжитесь с рекламодателем

Для получения дополнительной информации свяжитесь с платформой

REF: 381610

Отзывы о Terreno en calle 131 b s/n
Loading...

No reviews have been left for this object yet

Ближайшие объекты

Исследуйте близлежащие объекты, которые мы обнаружили неподалеку от этого местоположения.

Terreno en venta en Benifaraig

Валенсия, Бенифараиг
116 000 €

¿Estás buscando la parcela que se adapte a la casa donde quieres vivir? Si es as...

0
0 отзывов

Terreno en Torre en Conill-Cumbres de San Antonio

Валенсия, Бетера, Торре-эн-Кониль - Кумбрес-де-Сан-Антонио, Torre en Conill-Cumbres de San Antonio
650 000 €

Terreno urbano para inversión Parcelas urbanas en Bétera, Mas Camarena (Sector C...

0
0 отзывов

Terreno en Centro

Валенсия, Бетера, Центро, Centro
496 200 €

Lote de Suelo urbanizable en venta de 103.341 m² en el municipio de Bétera, en l...

0
0 отзывов

Terreno en Centro

Валенсия, Бетера, Центро, Centro
500 000 €

4 parcelas de aporte perteneciente al Sector R-4/R-5 de la localidad de Bétera....

0
0 отзывов

Terreno en La Conarda-Montesano

Валенсия, Бетера, Ла Конарда-Монтесано, La Conarda-Montesano
120 000 €

Presentamos una atractiva parcela ubicada en la privilegiada zona de La Conarda-...

0
0 отзывов

Terreno en plaza Poligono N-90.R, 102

Валенсия, Бетера, Центро, Plaza Poligono N-90.R, 102
500 000 €

SIN COMISION DE INMOBILIARIA! 4 parcelas de aporte perteneciente al Sector R-4/R...

0
0 отзывов

Terreno en camino Benaguasil s/n

Валенсия, Бетера, Центро, Camino Benaguasil s/n
155 000 €

⸻ SE VENDE TERRENO RÚSTICO/COMÚN EN BÉTERA – LA CONARDA � Ubicación: La Conarda,...

0
0 отзывов

Terreno en plaza Poligono N-22.R, 22

Валенсия, Бетера, Мас Камарена, Plaza Poligono N-22.R, 22
200 000 €

EXCLUSIVAS PARCELAS EN MAS CAMARENA PERFECTAS PARA PROYECTO DE VIVIENDA UNIFAMIL...

0
0 отзывов

Terreno en avenida Mediterrania, 1

Валенсия, Бетера, Ла Конарда-Монтесано, Avenida Mediterrania, 1
490 600 €

Excelente inversion. Mejor zona Urbanizacion LLoma Mas. Esquinero. Cerca Betera...

0
0 отзывов

Мы используем собственные и сторонние файлы cookie для анализа использования веб-сайта и показа вам рекламы, соответствующей вашим предпочтениям, на основе профиля, созданного по вашим привычкам просмотра (например, посещенные страницы). Подробнее. Вы принимаете файлы cookie?