Terreno en Palmeira

A Coruña, Ribeira, Palmeira, Palmeira
377 000 €
Beoordeling achterlaten
Stedelijk Type eigendom
2 741 m² Oppervlakte van het terrein
2434 Bouwvolume
Residentieel Gebruik van perceel
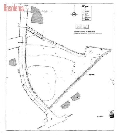
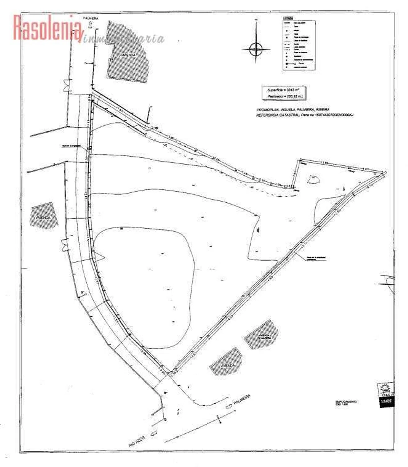
Solar de uso residencial en Ribeira, provincia de La Coruña, de tipología unifamiliar con una superficie de 2.741 m², con edificabilidad estimada de 2.192, 8 m² y un número estimado de 5 unidades a edificar. El % de propiedad que se posee en la finca registral es del 100 %. Es de aplicación la Ordenanza 6.3. A Residencial Extensiva de vivienda unifamiliar aislada. Uso característico pormenorizado de vivienda unifamiliar y usos admisibles los terciarios que tengan una relación de dependencia directa con el uso principal, permitiéndose el uso dotacional y la vivienda colectiva, conservándose la parcela y el tipo de edificación. Parcela mínima de 500 m². Zona próxima a la costa y a la Playa del rio Azor, escasamente desarrollada y denominada Lugar de Insuela. Zona residencial de vivienda aislada de primera y segunda residencia.

Kenmerken

Complex information

  • Type eigendom
    Stedelijk

Gegevens van het onroerend goed

  • Type onroerend goed
    Tweedehands

Oppervlakten

  • Oppervlakte van het terrein
    2 741 m²

Base

  • Minimale verkoopperceel
    2 741 m²
  • Bouwvolume
    2434
  • Gebruik van perceel
    Residentieel

Faciliteiten

Extra kenmerken:

Bouwgrond

Marktprijstatistieken voor Terreno en Palmeira

Kaart

A Coruña, Ribeira, Palmeira, Palmeira Naar deze locatie gaan
Laat een beoordeling achter over Terreno en Palmeira
0
0 beoordelingen
1
0% (0)
2
0% (0)
3
0% (0)
4
0% (0)
5
0% (0)
Rasolenia Inmobiliaria .
377 000 €
Contact adverteerder

Neem voor meer informatie contact op met het platform

REF: 345084

Beoordelingen over Terreno en Palmeira
Loading...

No reviews have been left for this object yet

Dichtstbijzijnde woningen

Verken nabijgelegen eigendommen die we hebben ontdekt in de buurt van deze locatie

Terreno en calle de Sálvora, 32

A Coruña, Ribeira, Carreira - Castiñeiras - Aguiño, Calle de Sálvora, 32
59 000 €

Venta de terreno urbano para construcción de vivienda unifamiliar en la carreter...

0
0 beoordelingen

Terreno en calle Valle Inclán s/n

A Coruña, Ribeira, Ribeira, Calle Valle Inclán s/n
99 000 €

Solar de uso residencial en Santa Eugenia de Ribeira (A Coruña), de tipología pl...

0
0 beoordelingen

Terreno en Puebla del Caramiñal

A Coruña, Puebla del Caramiñal
80 000 €

Se vende finca urbanizable de 1.349m² en Lugar Romeiras, A Pobra do Caramiñal.

0
0 beoordelingen

Terreno en Lugar Insuela s/n

A Coruña, Ribeira, Palmeira, Lugar Insuela s/n
377 000 €

Solar de uso residencial en Ribeira (A Coruña), de tipología unifamiliar con una...

0
0 beoordelingen

Terreno en calle Cordieiro, 18

A Coruña, Ribeira, Ribeira, Calle Cordieiro, 18
140 000 €

CARACTERÍSTICAS DEL LOCAL CON TERRENO El local con su terreno está situado en S...

0
0 beoordelingen

Terreno en Palmeira

A Coruña, Ribeira, Palmeira, Palmeira
200 000 €

Ubicada en un entorno natural privilegiado, esta finca de 1.002 m² se encuentra...

0
0 beoordelingen

Terreno en Cl valle inclan

A Coruña, Ribeira, Ribeira, CL valle inclan
99 000 €

Solar de uso residencial en Santa Eugenia de Ribeira, provincia de La Coruña, de...

0
0 beoordelingen

Terreno en Ac-550

A Coruña, Ribeira, Corrubedo - Oleiros - Olveira, AC-550
290 000 €

Gran oportunidad en pleno polígono industrial de Ribeira Parcela de 1.843 met...

0
0 beoordelingen

Terreno en Palmeira

A Coruña, Ribeira, Palmeira, Palmeira
377 000 €

Solar de uso residencial en Ribeira, provincia de La Coruña, de tipología unifam...

0
0 beoordelingen
Bel

We gebruiken onze eigen cookies en die van derden om het gebruik van de website te analyseren en je advertenties te tonen die zijn afgestemd op je voorkeuren, op basis van een profiel dat is gemaakt op basis van je browsegedrag (bijvoorbeeld bezochte pagina's). Meer informatie. Accepteer je cookies?