Terreno en avenida de los Toreros

Madrid, Mejorada del Campo, Avenida de los Toreros
268 000 €
Beoordeling achterlaten
Stedelijk Type eigendom
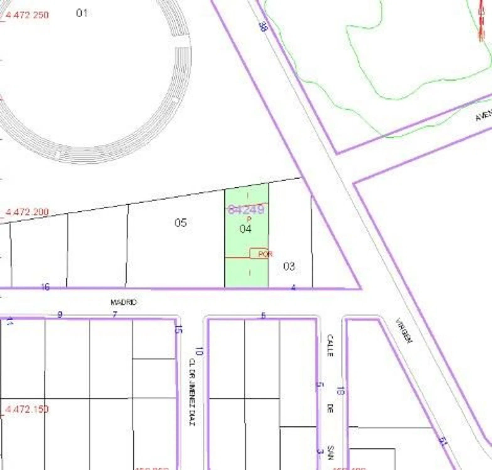
289 m² Oppervlakte van het terrein
¡Servicheck Vende - Suelo Urbano Edificable en Mejorada del Campo, Madrid! - Ubicación: Este terreno se encuentra ubicado en una zona residencial consolidada de la ciudad, en una de las áreas de mayor demanda y crecimiento urbanístico. Está convenientemente situado cerca de servicios públicos, comercios, centros deportivos y áreas de recreación. - Superficie: El terreno cuenta con una extensión de 289m2, ofreciendo un espacio amplio y versátil para el desarrollo de proyectos inmobiliarios, con posibilidad de edificar hasta 867m2 - Zonificación: Conforme a la normativa urbana vigente, el suelo está categorizado como urbano edificable, lo que permite la construcción de edificaciones de diversos usos, como residencial, comercial o mixto, según las regulaciones y permisos correspondientes. - Infraestructura: El suelo cuenta con acceso a servicios básicos como agua potable, electricidad, alcantarillado y conexión a redes de comunicación, lo que garantiza una implementación sin complicaciones de las infraestructuras necesarias para el desarrollo del proyecto. - Potencial de Desarrollo: Debido a su ubicación estratégica y su zonificación favorable, el terreno ofrece un gran potencial para la construcción de viviendas, locales comerciales, oficinas u otros proyectos inmobiliarios, lo que lo convierte en una oportunidad atractiva para inversionistas y desarrolladores. - Precio: El precio de venta del terreno es competitivo y está sujeto a negociación, ofreciendo una excelente relación costo-beneficio para aquellos interesados en invertir en el sector inmobiliario. ¡HAZ TU OFERTA! Para más información o para concertar una visita al terreno, no dudes en contactarnos.

Kenmerken

Complex information

  • Type eigendom
    Stedelijk

Gegevens van het onroerend goed

  • Type onroerend goed
    Tweedehands

Oppervlakten

  • Oppervlakte van het terrein
    289 m²

Base

Faciliteiten

Levering:

Riolering

Marktprijstatistieken voor Terreno en avenida de los Toreros

Kaart

Madrid, Mejorada del Campo, Avenida de los Toreros Naar deze locatie gaan
Laat een beoordeling achter over Terreno en avenida de los Toreros
0
0 beoordelingen
1
0% (0)
2
0% (0)
3
0% (0)
4
0% (0)
5
0% (0)
SERVICHECK Inmobiliaria
268 000 €
Contact adverteerder

Neem voor meer informatie contact op met het platform

REF: 369138

Beoordelingen over Terreno en avenida de los Toreros
Loading...

No reviews have been left for this object yet

Dichtstbijzijnde woningen

Verken nabijgelegen eigendommen die we hebben ontdekt in de buurt van deze locatie

Terreno en calle Santa Rosa

Madrid, Mejorada del Campo, Calle Santa Rosa
265 000 €

REF. MAD-705 TERRENO URBANO NO CONSOLIDADO en Mejorada del Campo. Tiene un total...

0
0 beoordelingen

Terreno en calle de San Pedro, 58

Madrid, Coslada, Valleaguado - La Cañada, Calle de San Pedro, 58
526 000 €

Suelo urbano de uso residencial en Calle San Pedro, en el municipio de Coslada,...

0
0 beoordelingen

Terreno en Centro

Madrid, San Fernando de Henares, Centrum, Centro
155 000 €

� PARCELA URBANA EN VENTA – SAN FERNANDO DE HENARES (MADRID) RAYMU vende todo ti...

0
0 beoordelingen

Terreno en calle Daroca, 28 b

Madrid, Mejorada del Campo, Calle Daroca, 28 B
236 000 €

¡Oportunidad para comprar tu suelo! Aprovecha esta magnífica oportunidad de inve...

0
0 beoordelingen

Terreno en calle Mónaco, 21

Madrid, Loeches, Calle Mónaco, 21
115 000 €

Se vende terreno urbano para construir chalet pareado en magnífica urbanización....

0
0 beoordelingen

Terreno en Mejorada del Campo

Madrid, Mejorada del Campo, Mejorada del Campo
149 000 €

"Atención Inversores" Lote de suelo urbano en Mejorada del Campo (Madrid)? ¡Gran...

0
0 beoordelingen

Terreno en calle Neptuno, 12

Madrid, Coslada, Valleaguado - La Cañada, Calle Neptuno, 12
195 000 €

NO INMOBILIARIAS ABSTENERSE INMOBILIARIAS se vende terreno listo para construir...

0
0 beoordelingen

Terreno en avenida de Vicálvaro

Madrid, Coslada, Ciudad 70, Avenida de Vicálvaro
790 000 €

TERRENO URBANO (SOLAR) PARA EDIFICAR 16 VIVIENDAS CON PLAZAS DE GARAJES COSLADA...

0
0 beoordelingen

Terreno en Mejorada del Campo

Madrid, Mejorada del Campo, Mejorada del Campo
268 000 €

Solar urbano de 298 m² ubicado en el extrarradio de Mejorada del Campo, en una z...

0
0 beoordelingen
Bel

We gebruiken onze eigen cookies en die van derden om het gebruik van de website te analyseren en je advertenties te tonen die zijn afgestemd op je voorkeuren, op basis van een profiel dat is gemaakt op basis van je browsegedrag (bijvoorbeeld bezochte pagina's). Meer informatie. Accepteer je cookies?