Terreno en calle Atlantico, 8

Мадрид, Ахальвир, Calle Atlantico, 8
375 000 €
Оставить отзыв
Земля под застройку Тип недвижимости
1 678 m² Площадь участка
2 Строительные участки
1 400 m² Застройка
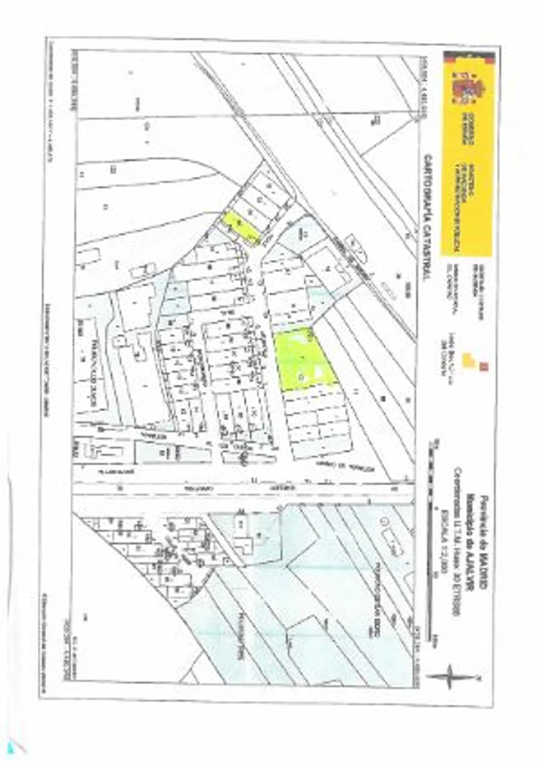
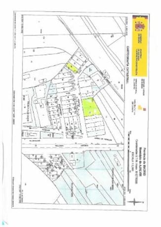
En el dinámico municipio de Ajalvir, situado en la zona norte de Madrid y con acceso directo por la A-1, se encuentra este solar industrial finalista de 1.678 m². La propiedad ofrece una oportunidad excepcional para emprendedores y empresas que buscan un espacio estratégico para desarrollar sus actividades. Con una edificabilidad de 1.400 m² más un 30% destinado a oficinas, este solar permite la construcción de hasta cuatro naves industriales en dos plantas, con una altura aprobada de 6 metros para los techos, aunque actualmente se está estudiando una ampliación de esta altura. Su uso autorizado es exclusivamente industrial, lo que lo convierte en una opción ideal para proyectos logísticos, manufactura o almacenamiento. Ajalvir es un municipio con una ubicación privilegiada, a tan solo 25 kilómetros del centro de Madrid y perfectamente conectado con las principales arterias de la capital. Este enclave cuenta con una sólida infraestructura que facilita las operaciones empresariales, incluyendo cercanía a importantes polígonos industriales y servicios que favorecen el desarrollo económico. El barrio combina la tranquilidad de un entorno semiurbano con la proximidad a áreas comerciales y educativas, lo que lo hace atractivo tanto para negocios como para trabajadores que buscan una ubicación funcional y cómoda. Este solar industrial destaca no solo por sus características técnicas, sino también por su ubicación estratégica en un municipio que combina tradición, desarrollo empresarial y cercanía a Madrid. Es una opción ideal para empresas que buscan expandirse en un entorno funcional y bien conectado. Desde 1983, GILMAR ha sido líder en el mercado inmobiliario, ayudando a sus clientes a encontrar la propiedad perfecta para sus necesidades. Nuestro equipo de expertos está comprometido con ofrecer un servicio integral, profesional y personalizado, garantizando una experiencia de compra o inversión excepcional. Para más información sobre este inmueble, por favor, contacta con nuestro equipo de Locales e Inversiones en la oficina de Goya, situada en C/ Goya, 47 - 5ª planta, llamando al teléfono o escribiendo al correo electrónico. Recuerda facilitar la referencia 212520 para una atención más ágil y personalizada.

Характеристики недвижимости

Complex information

  • Тип недвижимости
    Земля под застройку

Данные о недвижимости

  • Тип недвижимости
    Вторичка

Площади

  • Площадь участка
    1 678 m²

Base

  • Минимальный участок для продажи
    1 678 m²
  • Строительные участки
    2
  • Застройка
    1 400 m²

Статистика рыночных цен на Terreno en calle Atlantico, 8

Карта

Мадрид, Ахальвир, Calle Atlantico, 8 Поехать в это место
Оставьте отзыв о Terreno en calle Atlantico, 8
0
0 reviews
1
0% (0)
2
0% (0)
3
0% (0)
4
0% (0)
5
0% (0)
Gilmar Locales e Inversiones
375 000 €
Свяжитесь с рекламодателем

Для получения дополнительной информации свяжитесь с платформой

REF: 370379

Отзывы о Terreno en calle Atlantico, 8
Loading...

No reviews have been left for this object yet

Ближайшие объекты

Исследуйте близлежащие объекты, которые мы обнаружили неподалеку от этого местоположения.

Terreno en carretera de Ajalvir

Мадрид, Дагансо-де-Арриба, Carretera de Ajalvir
925 000 €

REF. MAD-584 ¡TERRENO VENTA EXCLUSIVA INVERSORES EN DAGANZO! La venta está desti...

0
0 отзывов

Terreno en Daganzo de Arriba

Мадрид, Дагансо-де-Арриба, Daganzo de Arriba
153 000 €

Presentamos un atractivo solar con una superficie total de 220 m², ideal para el...

0
0 отзывов

Terreno en calle Flor de Lis

Мадрид, Паракуэльос-де-Харама, Алтос де Харама, Calle Flor de Lis
343 400 €

Terreno en Venta Urb. Altos de Jarama, Paracuellos 1.717 m² EM2031 Miramadrid Se...

0
0 отзывов

Terreno en calle Flor de Lis

Мадрид, Паракуэльос-де-Харама, Алтос де Харама, Calle Flor de Lis
360 000 €

Terreno en Venta Urb. Altos de Jarama, Paracuellos 1.801 m² EM2037 Miramadrid Se...

0
0 отзывов

Terreno en calle Atlantico, 8

Мадрид, Ахальвир, Calle Atlantico, 8
375 000 €

En el dinámico municipio de Ajalvir, situado en la zona norte de Madrid y con ac...

0
0 отзывов

Terreno en Casco Urbano

Мадрид, Паракуэльос-де-Харама, Каско Урбано, Casco urbano
320 000 €

j. r. - Tenemos este terreno situado en el centro urbano de Paracuellos de Jaram...

0
0 отзывов

Terreno en carretera Paracuellos s/n

Мадрид, Паракуэльос-де-Харама, Зона Индустриал, Carretera Paracuellos s/n
330 000 €

¡Descubre una oportunidad única en Paracuellos del Jarama! Este terreno urbano d...

0
0 отзывов

Terreno en calle del Tomillar, 10

Мадрид, Паракуэльос-де-Харама, Алтос де Харама, Calle del Tomillar, 10
265 000 €

Parcela en Venta en urbanización Altos de Jarama, Paracuellos del Jarama Ubicac...

0
0 отзывов

Terreno en calle Constitución

Мадрид, Дагансо-де-Арриба, Calle Constitución
153 000 €

DAGOSA CONSULTORES les ofrece Parcela situada en el casco urbano de Daganzo de A...

0
0 отзывов

Мы используем собственные и сторонние файлы cookie для анализа использования веб-сайта и показа вам рекламы, соответствующей вашим предпочтениям, на основе профиля, созданного по вашим привычкам просмотра (например, посещенные страницы). Подробнее. Вы принимаете файлы cookie?