Terreno en Lugar

Пontevedra, Понтэарес, Lugar
195 000 €
Оставить отзыв
Не подлежащий застройке Тип недвижимости
3 608 m² Площадь участка
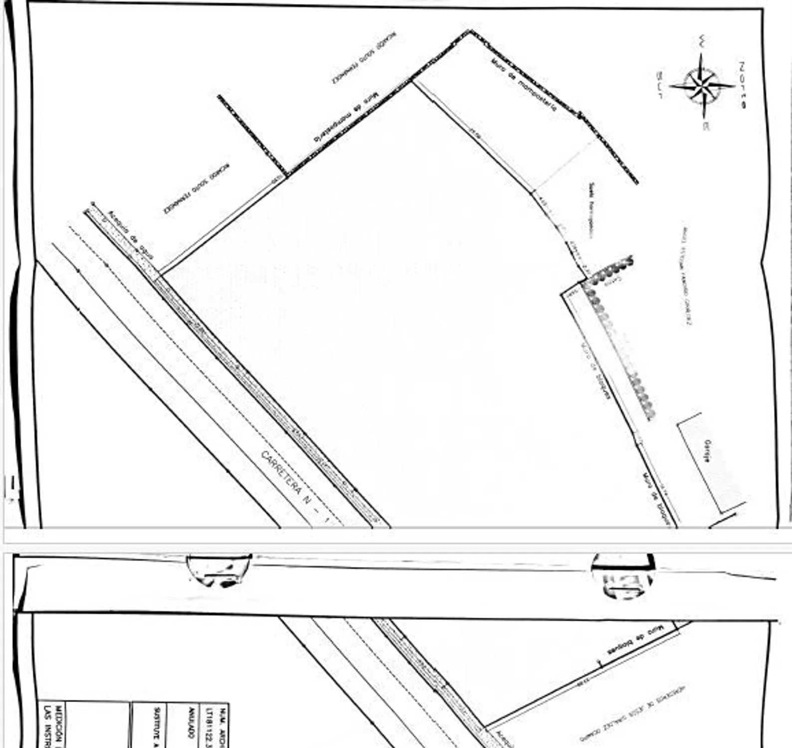
Se vende Terreno ideal para una GASOLINERA, en el alto de confurco al lado de la nacional 120 con mucho transito de coches diarios y en una zona donde salvo error y de momento no existe otra gasolinera. Su ubicación es perfecta dado que está pegado a la Nacional 120 y en ese tramo entre el alto de confurco y Ponteareas no existe otra gasolinera por tanto sería la única en ese tramo, tramo que por otra parte es de una afluencia de trafico de todo tipo de turismos y transporte pesado muy considerable. Se trata de un terreno, SOLEADO, muy bien situado, con buena comunicación, con ordenanza equivalente a suelo rústico de protección de infraestructuras. Urbanísticamente esta permitido realizar un area de servicio con gasolinera o gasolinera, pero evidentemente habría que hacer las comprobaciones pertinentes, licencias, y aprobación de carreteras, industria y otros para su realización y que cumpla con la normativa vigente en diferentes aspectos para su ejecución. Se trata de un terreno el cual se ha hecho una nueva medición topográfica y cuenta con 3.608 mts disponibles para dicho proyecto, evidentemente respetando los retranqueos necesarios etc. Para la realización de tal proyecto se cuenta con UN ARQUITECTO bien reconocido que conoce muy bien dicho terreno y daría todo tipo de información para dar claridad a dicho proyecto. Venga a verlo, le gustará y le AYUDAREMOS EN TODO EL PROCESO. Nota: este anuncio es meramente informativo y carece de valor contractual, puede contener algún error involuntario.

Характеристики недвижимости

Complex information

  • Тип недвижимости
    Не подлежащий застройке

Данные о недвижимости

  • Тип недвижимости
    Вторичка

Площади

  • Площадь участка
    3 608 m²

Base

Статистика рыночных цен на Terreno en Lugar

Карта

Пontevedra, Понтэарес, Lugar Поехать в это место
Оставьте отзыв о Terreno en Lugar
0
0 reviews
1
0% (0)
2
0% (0)
3
0% (0)
4
0% (0)
5
0% (0)
RE/MAX Balaídos
195 000 €
Свяжитесь с рекламодателем

Для получения дополнительной информации свяжитесь с платформой

REF: 382504

Отзывы о Terreno en Lugar
Loading...

No reviews have been left for this object yet

Ближайшие объекты

Исследуйте близлежащие объекты, которые мы обнаружили неподалеку от этого местоположения.

Terreno en Lugar Parada, km 1

Пontevedra, Понтэарес, Lugar Parada, km 1
24 000 €

La finca cuenta con pozo de agua de 12 metros, y corriente eléctrica con poste p...

0
0 отзывов

Terreno en Carretera de Carballal s/n

Пontevedra, Понтэарес, Carretera de Carballal s/n
25 000 €

Finca con aceso a Agua y luz.

0
0 отзывов

Terreno en camino de Mondariz, km 2

Пontevedra, Понтэарес, Camino de Mondariz, km 2
16 500 €

Finca rústica de 3000m² debajo de Kauman.

0
0 отзывов

Terreno en Lugar

Пontevedra, Понтэарес, Lugar
195 000 €

Se vende Terreno ideal para una GASOLINERA, en el alto de confurco al lado de la...

0
0 отзывов

Terreno en chan de gandara s/n

Пontevedra, Понтэарес, Chan de gandara s/n
8 000 €

Se vende finca rustica en PADRONES-PONTEAREAS, en un lugar paradisiaco. de 1300...

0
0 отзывов

Terreno en Lugar o Lameiro

Пontevedra, Понтэарес, Lugar O Lameiro
20 300 €

Oportunidad de compra de terreno en Guláns, Ponteareas. En la parcela existe un...

0
0 отзывов

Terreno en Pías s/n

Пontevedra, Понтэарес, Pías s/n
6 000 €

Ademas hay disponibles mas terrenos, rusticos, llamar para consultar.

0
0 отзывов

Мы используем собственные и сторонние файлы cookie для анализа использования веб-сайта и показа вам рекламы, соответствующей вашим предпочтениям, на основе профиля, созданного по вашим привычкам просмотра (например, посещенные страницы). Подробнее. Вы принимаете файлы cookie?