Terreno en Aldea Barbeita

A Coruña, Miño, Aldea Barbeita
47 000 €
Beoordeling achterlaten
Stedelijk Type eigendom
2 008 m² Oppervlakte van het terrein
Residentieel Gebruik van perceel
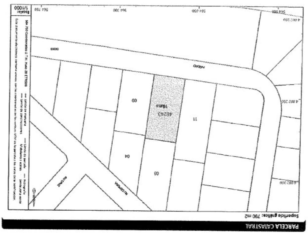
Solar Residencial en Miño (Parroquia De Callobre), provincia de La Coruña, de tipología Unifamiliar con una superficie de 2.008 m², con edificabilidad estimada de 602,4 m² y un número estimado de 2 unidades a edificar. El de propiedad que se posee en la finca registral es del 100. El Planeamiento Urbanístico vigente es el Texto Refundido del Plan General de Ordenación del Municipio de Miño, con aprobación definitiva el 09/08/2002. De acuerdo con dicha normativa, la finca se encuentra clasificada como Suelo de Núcleo Rural, Ordenanza DI2 Núcleo Rural Disperso.

Kenmerken

Complex information

  • Type eigendom
    Stedelijk

Gegevens van het onroerend goed

  • Type onroerend goed
    Tweedehands

Oppervlakten

  • Oppervlakte van het terrein
    2 008 m²

Base

  • Niet-ontwikkelbare grond
    Rustiek of Landelijk
  • Gebruik van perceel
    Residentieel

Faciliteiten

Extra kenmerken:

Bouwgrond

Plannen

Marktprijstatistieken voor Terreno en Aldea Barbeita

Kaart

A Coruña, Miño, Aldea Barbeita Naar deze locatie gaan
Laat een beoordeling achter over Terreno en Aldea Barbeita
0
0 beoordelingen
1
0% (0)
2
0% (0)
3
0% (0)
4
0% (0)
5
0% (0)
Solvia inmuebles HRE CES
47 000 €
Contact adverteerder

Neem voor meer informatie contact op met het platform

REF: 345631

Beoordelingen over Terreno en Aldea Barbeita
Loading...

No reviews have been left for this object yet

Dichtstbijzijnde woningen

Verken nabijgelegen eigendommen die we hebben ontdekt in de buurt van deze locatie

Terreno en Aldea Barbeita

A Coruña, Miño, Aldea Barbeita
47 000 €

Solar Residencial en Miño (Parroquia De Callobre), provincia de La Coruña, de ti...

0
0 beoordelingen

Terreno en Miño

A Coruña, Miño, Miño
48 000 €

Solar Residencial en Miño (Parroquia De Callobre), provincia de La Coruña, de ti...

0
0 beoordelingen

Terreno en calle Monteagudo

A Coruña, Miño, Calle Monteagudo
55 000 €

Parcela urbana y edificable en la zona baja de la urbanización Costa Miño (a 1,2...

0
0 beoordelingen

Terreno en calle Montecelo, 15

A Coruña, Bergondo, Calle Montecelo, 15
99 000 €

Venta de finca urbanizable en Montecelo, Bergondo, con vistas a la ría y a Betan...

0
0 beoordelingen

Terreno en Ac-171

A Coruña, Bergondo, AC-171
120 000 €

Esta es la finca ideal construir tu nueva casa. Ubicada dentro del Ayuntamiento...

0
0 beoordelingen

Terreno en calle Monteagudo s/n

A Coruña, Miño, Calle Monteagudo s/n
90 000 €

Parcela en venta en una de las inmejorables zonas de miño, el club de golf. Zona...

0
0 beoordelingen

Terreno en Pasaxe Pedrido

A Coruña, Bergondo, Pasaxe Pedrido
84 000 €

¡Descubre el lugar perfecto para tu próximo proyecto! Este impresionante terreno...

0
0 beoordelingen

Terreno en calle o Piñeiro s/n x

A Coruña, Miño, Calle O Piñeiro s/n X
81 000 €

Se vende finca urbana, a la entrada de la urbanización, orientación excelente, 8...

0
0 beoordelingen

Terreno en avenida de Xarío, 32

A Coruña, Miño, Avenida de Xarío, 32
95 000 €

Se vende terreno próximo a la playa grande de Miño de 1130, 48 metros cuadrados...

0
0 beoordelingen
Bel

We gebruiken onze eigen cookies en die van derden om het gebruik van de website te analyseren en je advertenties te tonen die zijn afgestemd op je voorkeuren, op basis van een profiel dat is gemaakt op basis van je browsegedrag (bijvoorbeeld bezochte pagina's). Meer informatie. Accepteer je cookies?